-
Terreno
-
196 m² Total
Terreno en VENTA
Excelente lote para desarrollar semipisos de 2 ambientes con baño y toilette
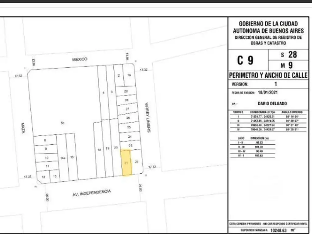
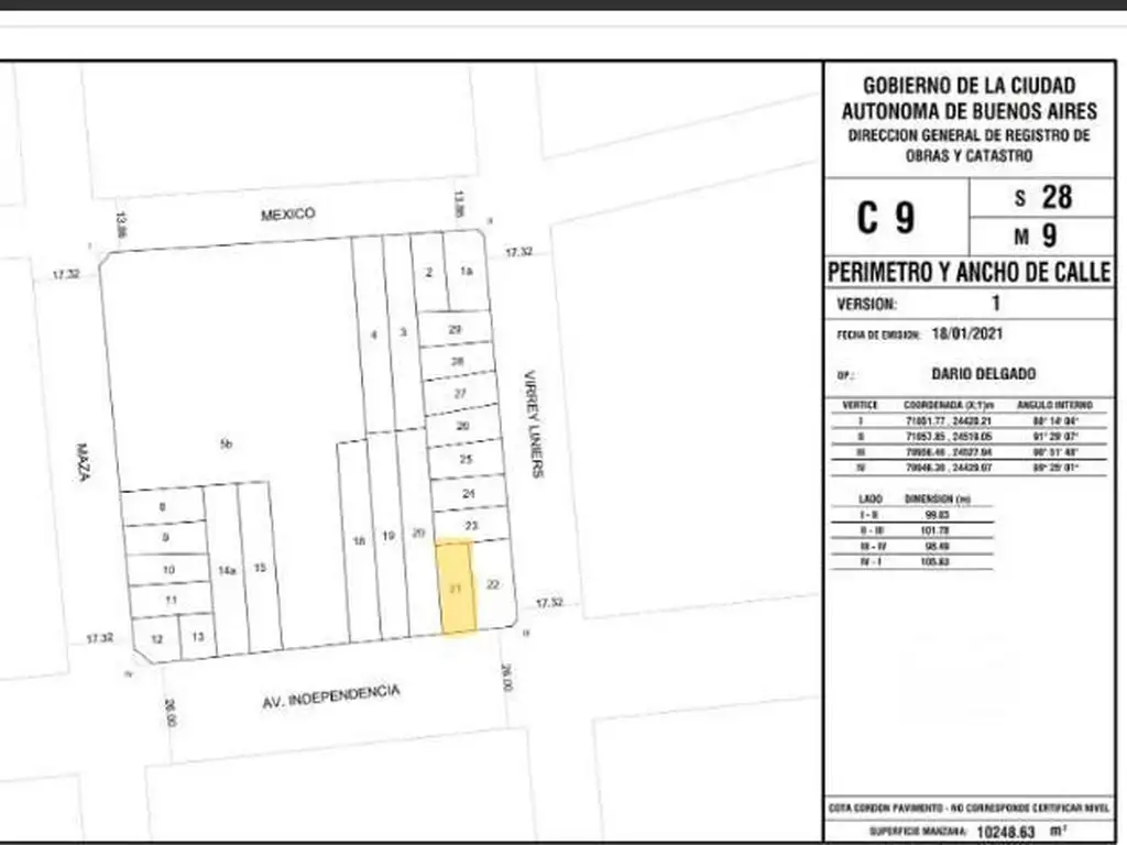
Lote de terreno ( 8.66 x 22,65 ) aprox. 196 mts. Excelente ubicación en Boedo sobre Avenida Independencia. Tiene demolición.
Pertenece al distrito corredor medio (CM) Altura máxima 31.20 desarrollado en 2 basamento mas pisos y dos retiros mas sobrerecorrido. Línea de frente interno a los 26 metros. No lo agarra la tronera.
IMPORTANTE: La presente factibilidad es meramente orientativa. Los metros cuadrados definidos estarán sujetos a la optimización del proyecto que presente el profesional correspondiente y deberán ser aprobados y registrados por la Municipalidad del Gobierno de la Ciudad Autónoma de Buenos Aires.
Lote de terreno ( 8.66 x 22,65 ) aprox. 196 mts. Excelente ubicación en Boedo sobre Avenida Independencia. Tiene demolición.
Pertenece al distrito corredor medio (CM) Altura máxima 31.20 desarrollado en 2 basamento mas pisos y dos retiros mas sobrerecorrido. Línea de frente interno a los 26 metros. No lo agarra la tronera.
IMPORTANTE: La presente factibilidad es meramente orientativa. Los metros cuadrados definidos estarán sujetos a la optimización del proyecto que presente el profesional correspondiente y deberán ser aprobados y registrados por la Municipalidad del Gobierno de la Ciudad Autónoma de Buenos Aires.
Ubicación
Boedo, Capital Federal
Datos básicos
-
Precio: USD 550.000
Superficie
-
Sup. Total: 196 m2
Código de aviso: PRO-1531766