-
Terreno
Terreno
-
407 m² Total
407 m² Total
-
Bueno
Bueno
VENTA DE ESTUPENDO TERRENO EN VILLA GESELL
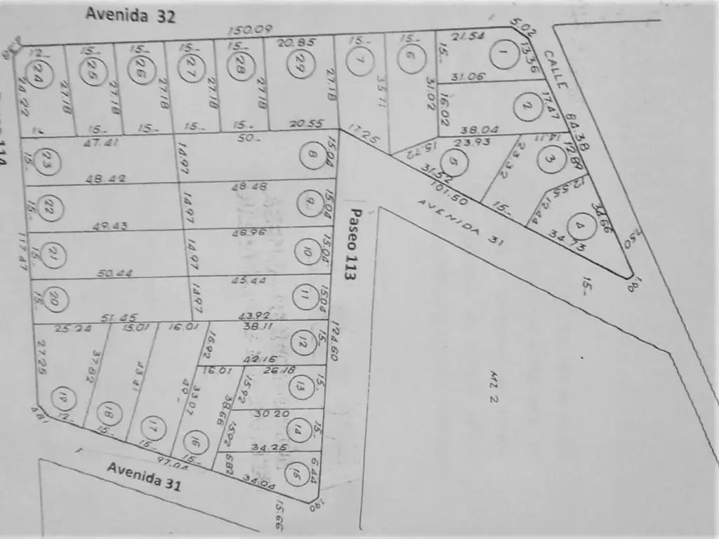
Venta de terreno sito en la localidad de Villa Gesell, ubicado sobre paseo 114, entre Avenida 32 y paseo 113, designado como Manzana 1, parcela 25, que mide 15 x 27 metros, superficie de 407,70 m2, lindando con La Carmencita.
Precio de venta y condiciones de pago: pagaderos al contado y a la firma de la escritura traslativa de domino, títulos perfectos con sus impuestos tasas y contribuciones pagos al día de la escrituración. Todos los gastos de escrituración, sellados, estado parcelario y amojonamiento a cargo del comprador. Escrituras por la escribanía de Pedro Antonio Cafferata con domicilio en la calle Bernardo de Irigoyen 88 piso 3° K CABA.
Las medidas son aproximadas, las reales y los datos consignados serán verificados contra el título de propiedad.
La presente oferta de venta está condicionada a la confección del COTI por parte del propietario.
Precio de venta y condiciones de pago: pagaderos al contado y a la firma de la escritura traslativa de domino, títulos perfectos con sus impuestos tasas y contribuciones pagos al día de la escrituración. Todos los gastos de escrituración, sellados, estado parcelario y amojonamiento a cargo del comprador. Escrituras por la escribanía de Pedro Antonio Cafferata con domicilio en la calle Bernardo de Irigoyen 88 piso 3° K CABA.
Las medidas son aproximadas, las reales y los datos consignados serán verificados contra el título de propiedad.
La presente oferta de venta está condicionada a la confección del COTI por parte del propietario.
Ubicación
Centro, Villa Gesell, Costa Atlantica
Datos básicos
-
Precio: USD 12.000
Superficie
-
Sup. Total: 407 m2
Instalaciones del terreno
- Pavimento
Servicios del Terreno
- Electricidad
Código de aviso: 251214-6050249