Cafferata al 900

USD 380.000

Venta en Echesortu, Rosario

USD 380.000

  • Terreno

  • 359 m² Total

  • 10 mts Frente

  • 34 mts Fondo

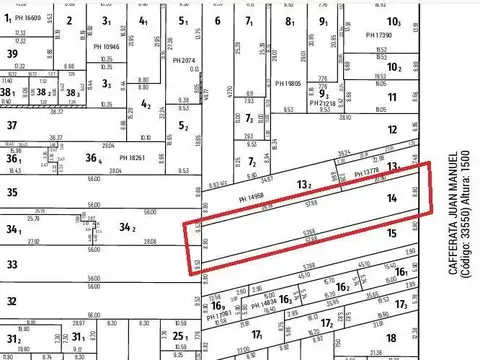
Terreno para Constructora en Echesortu

Se ofrece a la venta un excelente terreno ubicado en el barrio Echesortu, sobre el corredor urbano B, ideal para desarrolladoras inmobiliarias. La propiedad cuenta con una superficie total de 360 m2, con dimensiones de 10.39 metros de frente y 34.64 metros de fondo.
El terreno permite una altura máxima de 30.5 metros, lo que posibilita la construcción de planta baja más 10 pisos, ofreciendo un gran potencial para proyectos residenciales o comerciales. Su ubicación estratégica en Cafferata 900 proporciona un fácil acceso a servicios y transporte.

Además, se contempla la posibilidad de permuta por m2, tanto en el mismo lugar como en propiedades terminadas, lo que amplía las opciones para los interesados. No pierdas la oportunidad de invertir en este prometedor espacio en Rosario.

Ubicación

Echesortu, Rosario, Santa Fe

Características

  • Long. Frente: 10 m

  • Long. Fondo: 34 m

  • Precio: USD 380.000

  • Sup. Total: 359 m2

  • Agua cloaca
  • Agua corriente
  • Electricidad
  • Luz eléctrica
  • Agua corriente
  • Electricidad
  • Gas natural
  • Teléfono

Código de aviso: PRO-1468983

Contactá al anunciante

FT Negocios Inmobiliarios