-
Terreno
-
9.478 m² Total
Lote en venta en Chacras de San Vicente B° El Ministro
Importante fracción en venta en Chacras de San Vicente, barrio El Ministro, Partido de Presidente Perón, Guernica, Prov. de Bs. As.
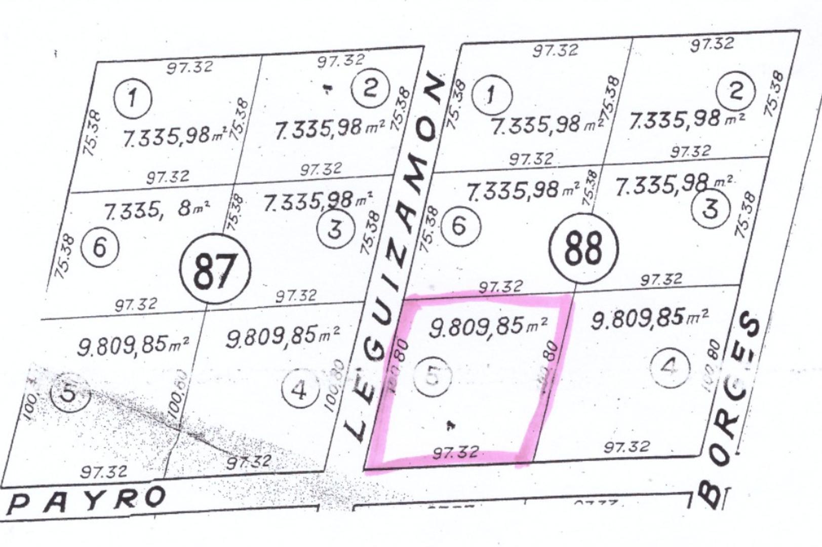
Ubicación: Sobre la calle Gustavo Leguizamón, esquina calle Payró. Manzana 88, parcela: 5.
Cuenta con alambrado perimetral, tranquera, caños acceso vehicular, pequeño lago artificial y dos quinchos de paja.
Datos Catastrales: Partido: 129 (Presidente Perón) Circunscripción: 2 Sección: A Quinta: 88, Parcela: 5.
Ubicación: -34.97608,-58.41795
Medidas: Frente: 100,80m x 97,32m
Superficie: 9.478m2
Chacras de San Vicente, también conocido como chacras de Vinelli (desarrollo y loteo original del emprendimiento), es un barrio abierto de casas quintas emplazadas en amplias fracciones, ubicado a pocos minutos del centro de Canning y de San Vicente. De rápido acceso por la RP 58, RP 16 y la nueva extensión del Camino del Buen Ayre.
Precio de Venta y condiciones de pago: Pagaderos al contado y a la escrituración, títulos perfectos con sus tasas y contribuciones pagas al día de la escrituración Escrituras por ante la escribanía de Pedro Antonio Cafferata con domicilio en la calle Bernardo de Irigoyen 88 piso 3° K de CABA Todos los gastos de escrituración, sellados, estado parcelario y amojonamiento son a cargo del comprador.
Las medidas son aproximadas, las reales y los datos consignados serán verificados contra el título de propiedad.
La presente oferta de venta está condicionada a la confección del COTI por parte del propietario.
Otros Servicios: Alambrado perimetral
Ubicación: Sobre la calle Gustavo Leguizamón, esquina calle Payró. Manzana 88, parcela: 5.
Cuenta con alambrado perimetral, tranquera, caños acceso vehicular, pequeño lago artificial y dos quinchos de paja.
Datos Catastrales: Partido: 129 (Presidente Perón) Circunscripción: 2 Sección: A Quinta: 88, Parcela: 5.
Ubicación: -34.97608,-58.41795
Medidas: Frente: 100,80m x 97,32m
Superficie: 9.478m2
Chacras de San Vicente, también conocido como chacras de Vinelli (desarrollo y loteo original del emprendimiento), es un barrio abierto de casas quintas emplazadas en amplias fracciones, ubicado a pocos minutos del centro de Canning y de San Vicente. De rápido acceso por la RP 58, RP 16 y la nueva extensión del Camino del Buen Ayre.
Precio de Venta y condiciones de pago: Pagaderos al contado y a la escrituración, títulos perfectos con sus tasas y contribuciones pagas al día de la escrituración Escrituras por ante la escribanía de Pedro Antonio Cafferata con domicilio en la calle Bernardo de Irigoyen 88 piso 3° K de CABA Todos los gastos de escrituración, sellados, estado parcelario y amojonamiento son a cargo del comprador.
Las medidas son aproximadas, las reales y los datos consignados serán verificados contra el título de propiedad.
La presente oferta de venta está condicionada a la confección del COTI por parte del propietario.
Otros Servicios: Alambrado perimetral
Ubicación
Guernica, Presidente Peron, G.B.A. Zona Sur
Datos básicos
-
Precio: USD 85.000
Superficie
-
Sup. Total: 9.478 m2
Código de aviso: 251214-6050324