Pedro J Agrelo 1000

Consultar precio

Venta en Ituzaingo, Buenos Aires

Consultar precio

  • Terreno

  • 841 m² Total

  • Bueno

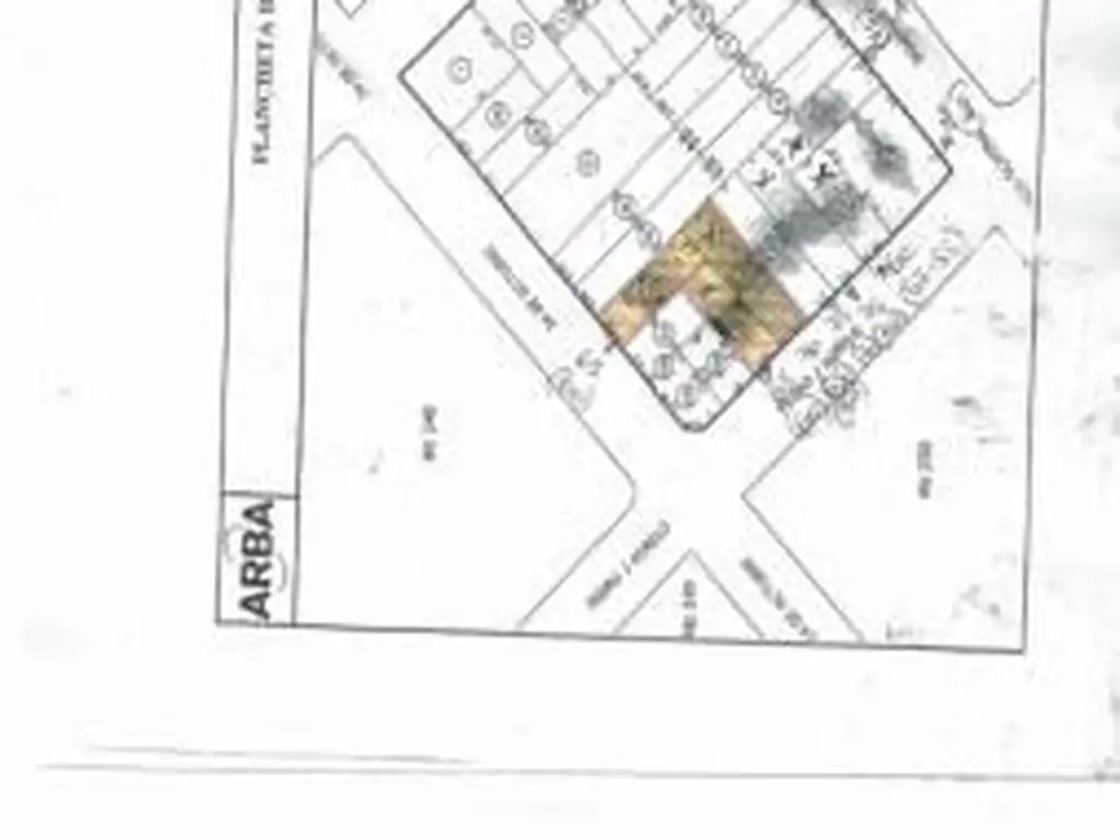
FRACCION DE 3 LOTES, IDEAL CONSTRUCTOR, ITUZAINGO SUR (2363)

VENTA DE 3 LOTES JUNTOS
(1)LOTE SOBRE 24 DE OCTUBRE
(2)LOTES SOBRE AGRELO
TOTAL 841M2
IDEAL CONSTRUCTORES
ZONA CON SERVICIOS
2 CUADRAS DE RIVADAVIA
8 CUADRAS DE ESTACION

Ubicación

Ituzaingo, G.B.A. Zona Oeste

  • Precio: Consultar precio

  • Sup. Total: 841 m2

Código de aviso: 3SUA_775

La siguiente propiedad no se encuentra disponible. Si deseas continuar tu búsqueda hacé click aquí