-
Terreno
Terreno
-
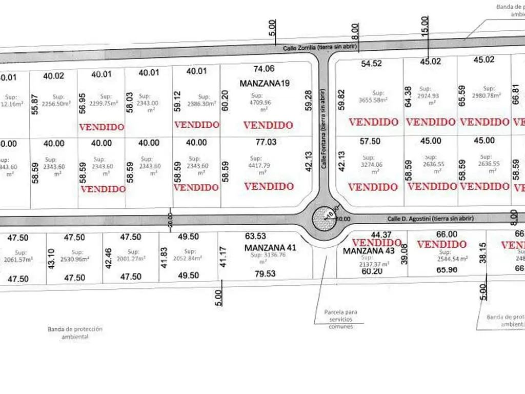
2.455 m² Total
2.455 m² Total
Terreno - Libertad
El predio cuenta con 30 hectáreas ubicadas en Ruta 1001 y Calderón de la Barca, y ya está vendido en un 60%. En una primera etapa se trabajará sobre 11 hectáreas y otras 5 estarán disponibles una vez que se cubra la capacidad de la primera. Las 14 hectáreas restantes se utilizarán para logística. La capacidad máxima se estima en 70 a 75 empresas, pero esto puede variar en función del tamaño.
Planos aprobados, ya empezaron a instalarse las primeras 10 empresas del Polo Industrial de Merlo, que tiene capacidad para albergar a alrededor de 70 industrias y esperan que genere más de 1.500 puestos de trabajo.
Las empresas que se instalan en el polo tienen beneficios impositivos en Seguridad e Higiene, el ABL y los derechos de construcción. Está todo bonificado, algunos al 100% y otros al 80%.
A fines de septiembre se habilitó el primer tramo de la extensión del Camino del Buen Ayre en 11 kilómetros que comprenden desde la Ruta Provincial 40, en Merlo, hasta el Barrio 20 de Junio en La Matanza. Esto representó menos tiempo de viaje a Capital así como una mejor conexión para los vecinos de estos distritos.
Actualmente se están construyendo otros 65 kilómetros de la extensión, entre el Acceso Oeste y la RP 40, y desde el Barrio 20 de Junio hasta el cruce con la RP 53. La finalización de estas obras está prevista para el 2023 y, cuando estén terminadas, la nueva autopista contará con 83 kilómetros que conectarán el Acceso Oeste con la ruta 2, a la altura de Berazategui.
Planos aprobados, ya empezaron a instalarse las primeras 10 empresas del Polo Industrial de Merlo, que tiene capacidad para albergar a alrededor de 70 industrias y esperan que genere más de 1.500 puestos de trabajo.
Las empresas que se instalan en el polo tienen beneficios impositivos en Seguridad e Higiene, el ABL y los derechos de construcción. Está todo bonificado, algunos al 100% y otros al 80%.
A fines de septiembre se habilitó el primer tramo de la extensión del Camino del Buen Ayre en 11 kilómetros que comprenden desde la Ruta Provincial 40, en Merlo, hasta el Barrio 20 de Junio en La Matanza. Esto representó menos tiempo de viaje a Capital así como una mejor conexión para los vecinos de estos distritos.
Actualmente se están construyendo otros 65 kilómetros de la extensión, entre el Acceso Oeste y la RP 40, y desde el Barrio 20 de Junio hasta el cruce con la RP 53. La finalización de estas obras está prevista para el 2023 y, cuando estén terminadas, la nueva autopista contará con 83 kilómetros que conectarán el Acceso Oeste con la ruta 2, a la altura de Berazategui.
Ubicación
Datos básicos
-
Precio: USD 147.300
Superficie
-
Sup. Total: 2.455 m2
Instalaciones del terreno
- Electricidad
- Luz eléctrica
Servicios del Terreno
- Electricidad
- Teléfono
Código de aviso: PRO-352528