Virrey Olaguer y Feliu 4200

USD 444.500

Venta en Munro, Vicente Lopez

USD 444.500

  • Terreno

  • Terreno

  • 811 m² Total

  • 17 mts Frente

  • 47 mts Fondo

  • Bueno

Doble lote en venta en Munro

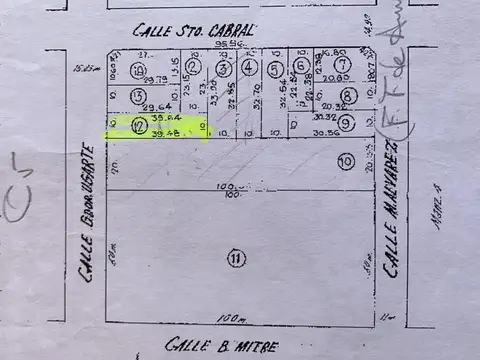
Doble lote en Venta en Munro, Partido de Vicente Lopez. A Metros de Av. Bme Mitre (continuación de Av. R. Balbin).

Frente 17,32 m x Fondo 46,85 m (811 m totales).

Estratégicamente ubicado en zona residencial, zonificación R2. Alto potencial para desarrollo inmobiliario.

CARACTERÍSTICAS DEL TERRENO

Superficie total: 811,44 m²
Medidas: 17,32 metros de frente por 46,85 metros de profundidad
Zonificación: Residencial R2
Capacidad constructiva: Planta Baja + 2 Pisos

Actualmente existen 3 viviendas, susceptibles de unificación o subdivisión (actualmente no están subdivididas) y un espacio adicional para local comercial o cochera sobre línea municipal en uno de los lotes. Amplio jardín con potencial de integración entre lotes

UBICACIÓN Y ENTORNO

Zona residencial de Vicente López con excelente conectividad y servicios urbanos.

Oportunidad de inversión única para desarrolladores, inversores y profesionales con visión de crecimiento urbano.



Los datos, medidas y antigüedad son estimativos y fueron suministrados por el propietario.

Ignacio M. Labate CSI 5973

Cualquier consulta comunicarse al 4 7 5 6 1 8 7 8

Ubicación

Munro, Vicente Lopez, G.B.A. Zona Norte

Características

  • Long. Frente: 17 m

  • Long. Fondo: 47 m

  • Zonificación: R2

  • Tipo de Terreno: Terreno

  • Tipo de Pendiente: Plana

  • Precio: USD 444.500

  • Sup. Total: 811 m2

  • Agua cloaca
  • Agua corriente
  • Luz eléctrica
  • Vivienda
  • ABL
  • Agua corriente
  • Electricidad
  • Gas natural
  • Rentas

Código de aviso: 3N22_1182

Contactá al anunciante

Labate Propiedades