-
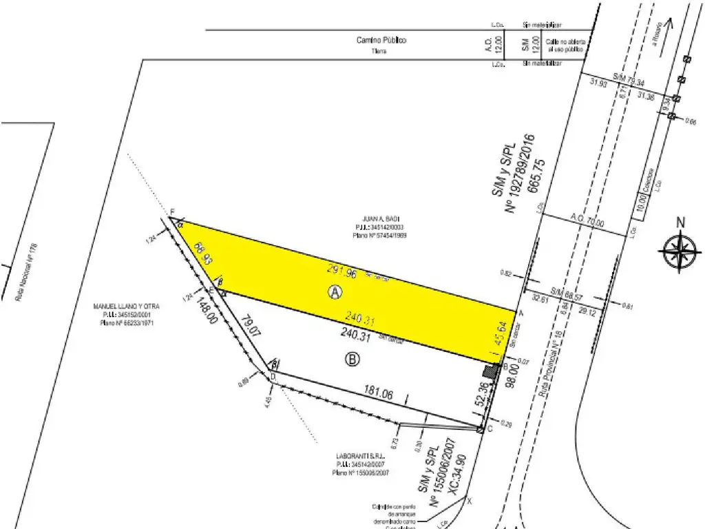
Terreno
-
12.146 m² Total
-
45 mts Frente
-
291 mts Fondo
Terreno - Piñero
- Excelente fracción sobre colectora.
- A metros del cruce entre Ruta Provincial 18 y A012.
- Zona suburbana.
METRAJE:
- Frente: 45,65m
- Lado norte: 291.96m
- Lado sur: 240.31
- Lado oeste: 68.93
Ubicación
Piñero, Rosario, Santa Fe
Características
-
Long. Frente: 45 m
-
Long. Fondo: 291 m
Datos básicos
-
Precio: USD 149.000
Superficie
-
Sup. Total: 12.146 m2
Código de aviso: 1008586
Propiedades Similares
-
USD 155.000
VENTA - Fraccion sobre Ruta 18 km 6 - Piñero
- 11.807 m² Total
- 101 mts Frente
-
USD 149.000
Ruta 18 km 7
- 12.146 m² Total
- 45 mts Frente
-
USD 114.000
Club de Campo La Carolina Golf y Country Club
- 1.424 m² Total
- 23 mts Frente
-
USD 170.000
RUTA 18 KM 5.5, Alvear, Santa Fe
- 2.500 m² Total