Mitre 364

USD 2.800.000

Venta en Quilmes, Buenos Aires

USD 2.800.000

  • Terreno

  • 2.026 m² Total

  • 2.026 m² Construible

Lote a la venta en Quilmes Centro

Les presentamos Lote a la venta en pleno centro de Quilmes.


- Lote ideal para torres en pleno centro de Quilmes en una de las mejores zonas, (Av. Mitre y Conesa ).
- Ideal inversores.
- valores expresados en metros cuadrados son elementos de análisis, que se pueden lograr y/o superar según el proyecto a definir.

- Muy buena posibilidad de construir 2 torres de 3.500 mas c/u.

- Además:

* Mitre es la avenida que atraviesa todo Quilmes, desde el Partido de Berazategui hasta la localidad de Bernal.
* Conesa es una de las principales calles del solicitado centro de la ciudad.
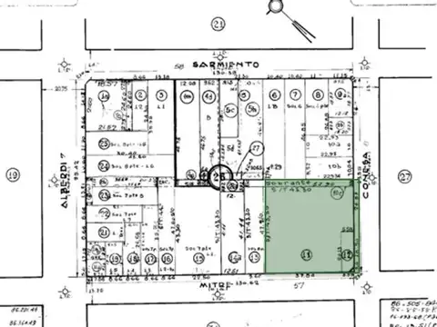
* Circ:1 Seccion:K Manz:26 Lote11b (unificado) Mitre 346, esquina Conesa.
* Terreno en esquina ubicado en la zona residencial 1 (R1) de Quilmes, A solo 3 cuadras de la zona comercial y a 1 cuadra de la zona residencial exclusiva.
* Quilmes esta ubicado en el kilómetro 20 de la Autopista Buenos Aires - La Plata.
* El lote posee 43,30 metros de frente sobre la calle Mitre y 47 metros sobre Conesa.
* 2.026m2 de terreno Posibilidad de construir 7.000 m2 vendibles aproximadamente, según proyecto a definir.

- Medidas de terreno: 43,30 x 47 m.
- Metros totales: 2.026 m2.
La cantidad de metros proporcionados son aproximados.

Ante cualquier otra consulta no dude en ponerse en contacto y/o solicitar una visita.

Ubicación

Quilmes, G.B.A. Zona Sur

Características

  • Zonificación: zona céntrica

  • Precio: USD 2.800.000

  • Sup. Construible: 2.026 m2

  • Sup. Total: 2.026 m2

  • Pavimento
  • Agua corriente
  • Electricidad
  • Gas natural

Código de aviso: 174005-6297632

Contactá al anunciante

VALERIA SANCHEZ FERREIROS