Peron 400

USD 295.000

Venta en San Fernando, Buenos Aires

USD 295.000

  • Terreno

    Terreno

  • 15 mts Frente

    15 mts Frente

  • 28 mts Fondo

    28 mts Fondo

propiedad ideal INVERSOR en venta

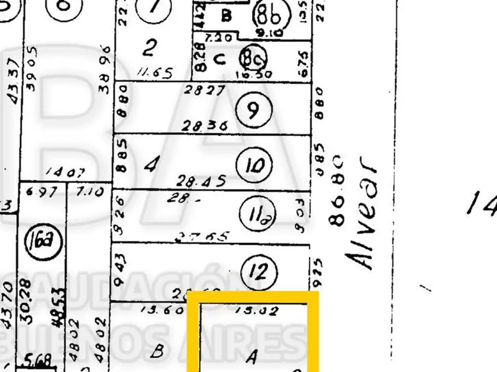
SAN FERNANDO- VENTA- LOTE:
ZONA C2 - FOS 0.6 - FOT 3 -
1 lote de 15.30m x 28.90M.
IDEAL INVERSORES!

Actualmente compuesto por 2 locales y 3 viviendas.

PLA5477197 "Desde 1946 en negocios inmobiliarios"

Ubicación

San Fernando, G.B.A. Zona Norte

Características

  • Long. Frente: 15 m

  • Long. Fondo: 28 m

  • Zonificación: c2

  • Precio: USD 295.000

  • Agua cloaca
  • Agua corriente
  • Electricidad
  • Luz eléctrica
  • Agua corriente
  • Electricidad
  • Gas natural

Código de aviso: PRO-1594255

Contactá al anunciante

PAPUCCI PROPIEDADES