-
Terreno
-
1.603 m² Total
-
Bueno
Terreno - Venta - Argentina, San Miguel - Avda. Presidente Peron 3462
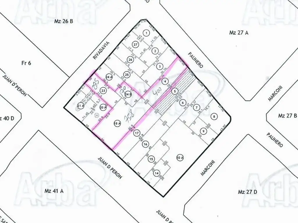
IMPORTANTE LOTE A LA VENTA EN SAN MIGUEL
AVDA. PTE PERON AL 3400, ENTRE MARCONI Y ARRICAU (EX RIVADAVIA)
CUATRO IMPORTANTES LOTES POR UN TOTAL DE 1.603 M2 CON SALIDA A TRES CALLES (20 MTS DE FRENTE SOBRE PTE. PERON, 10 MTS SOBRE ARRICAU Y 10 MTS SOBRE PAUNERO), CON UNA CONSTRUCCIÓN DE APROX 1300 M2. ZONIFICACION MACROCENTRO.
CONSULTANOS
AVDA. PTE PERON AL 3400, ENTRE MARCONI Y ARRICAU (EX RIVADAVIA)
CUATRO IMPORTANTES LOTES POR UN TOTAL DE 1.603 M2 CON SALIDA A TRES CALLES (20 MTS DE FRENTE SOBRE PTE. PERON, 10 MTS SOBRE ARRICAU Y 10 MTS SOBRE PAUNERO), CON UNA CONSTRUCCIÓN DE APROX 1300 M2. ZONIFICACION MACROCENTRO.
CONSULTANOS
Ubicación
San Miguel, G.B.A. Zona Norte
Datos básicos
-
Precio: USD 900.000
Superficie
-
Sup. Total: 1.603 m2
Código de aviso: FNE-FNM-3455-634