-
Terreno
-
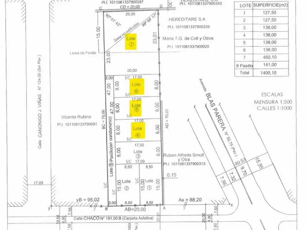
136 m² Total
VENTA TERRENOS EN BLAS PARERA Y CHACO
Corredor Responsable: Manuel González Zurbriggen CCI 684 -
Contacto: Nicolás Castelló
Se vende terreno interno (Lote N° 4 ) ubicado en calle Chaco al 6054 a metros de Av. Blas Parera, en la ciudad de Santa Fe.
El terreno posee un ingreso de 3 metros de ancho; y la medida del mismo es de 17 metros en sus lados Este y Oeste, y 8 metros en sus lados Norte y Sur, haciendo un total de 136 m2.
Posibilidad de comprar en conjunto con los lotes N° 5 y 6.
Se pueden destinara a inversión o construcción de viviendas o galpón .
RAU S.R.L. no ejerce el corretaje inmobiliario. El presente sitio web es una plataforma en donde cada oficina inmobiliaria independiente que contrata los servicios RE/MAX puede publicar las propiedades a su cargo. Cada oficina es de propiedad y gestión independiente, por lo que RAU S.R.L. no interviene en los datos de la publicación, en la operación inmobiliaria, ni en la confección y/o firma del boleto de compraventa y/o escritura y/o contrato de alquiler. En cumplimiento de las leyes vigentes que regulan el corretaje inmobiliario, Ley Nacional 25.028, Ley 22.802 de Lealtad Comercial, Ley 24.240 de Defensa al Consumidor, las normas del Código Civil y Comercial de la Nación y Constitucionales, los agentes/gestores NO ejercen el corretaje inmobiliario. Todas las operaciones inmobiliarias son objeto de intermediación y conclusión por parte del corredor público inmobiliario colegiado a cargo de la publicación, cuyos datos se exhiben en la presente. La presente publicación describe las características esenciales del inmueble, debiéndose consultar al corredor público inmobiliario responsable de la operación por la eventual actualización de las medidas, descripciones arquitectónicas y funcionales, valores de expensas, servicios, impuestos, precios y demás información, cuyos valores son aproximados.
Contacto: Nicolás Castelló
Se vende terreno interno (Lote N° 4 ) ubicado en calle Chaco al 6054 a metros de Av. Blas Parera, en la ciudad de Santa Fe.
El terreno posee un ingreso de 3 metros de ancho; y la medida del mismo es de 17 metros en sus lados Este y Oeste, y 8 metros en sus lados Norte y Sur, haciendo un total de 136 m2.
Posibilidad de comprar en conjunto con los lotes N° 5 y 6.
Se pueden destinara a inversión o construcción de viviendas o galpón .
RAU S.R.L. no ejerce el corretaje inmobiliario. El presente sitio web es una plataforma en donde cada oficina inmobiliaria independiente que contrata los servicios RE/MAX puede publicar las propiedades a su cargo. Cada oficina es de propiedad y gestión independiente, por lo que RAU S.R.L. no interviene en los datos de la publicación, en la operación inmobiliaria, ni en la confección y/o firma del boleto de compraventa y/o escritura y/o contrato de alquiler. En cumplimiento de las leyes vigentes que regulan el corretaje inmobiliario, Ley Nacional 25.028, Ley 22.802 de Lealtad Comercial, Ley 24.240 de Defensa al Consumidor, las normas del Código Civil y Comercial de la Nación y Constitucionales, los agentes/gestores NO ejercen el corretaje inmobiliario. Todas las operaciones inmobiliarias son objeto de intermediación y conclusión por parte del corredor público inmobiliario colegiado a cargo de la publicación, cuyos datos se exhiben en la presente. La presente publicación describe las características esenciales del inmueble, debiéndose consultar al corredor público inmobiliario responsable de la operación por la eventual actualización de las medidas, descripciones arquitectónicas y funcionales, valores de expensas, servicios, impuestos, precios y demás información, cuyos valores son aproximados.
Ubicación
Santa Fe, Departamento de Santa Fe La Capital, Santa Fe
Datos básicos
-
Precio: USD 6.500
Superficie
-
Sup. Total: 136 m2
Servicios del Terreno
- Agua corriente
- Electricidad
Código de aviso: AR.42.154.43.28.V9