(1) (1)
  • Centro

Operación

Terreno

USD hasta 400K

Buscar solo avisos en moneda:

Dorm|Amb

Más filtros Más filtros

Características

Superficie total

Nombre de calle y altura

Tipo de urbanización

Fot

Servicios

Tipo de anunciante

113 Terrenos en Centro

1/2
Visto

440

USD 250.000

Presidente Roca 1215

Terreno en Venta en Centro, Rosario

MALCOLM PROPIEDADES
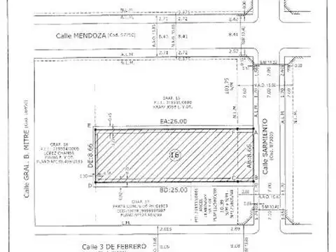
  • 157 m² Total

RETASADO TERRENO 157M2 - NO AFECTADA A PATRIMONIO

Terreno ideal constructoras - no afectada a patrimonio la altura máxima permitida es de 25m. Ubicado en pleno centro de la ciudad, a pocos metros de calle mendoza, zona de gran movimiento comercial y habitacional, excelente conectividad con toda la ciudad a través de varias líneas de transporte. Zona de gran crecimiento con varios desarrollos inmobiliarios nuevos y en construcción- 9,50m de frente con orientación oeste y 16,51m de fondo, cuenta con una superficie de total de 157m2. - Servicios: cloacas, gas malcolm propiedades y asoc. Teléfonos: 448-5293 / / .- Redes: instagram: @malcolmpropiedades facebook: malcolm propiedades toda la información y medidas provistas por los propietarios, son aproximadas y deberán ratificarse con la visita al inmueble y la documentación pertinente. Los gastos expresados refieren a la última información recabada y deberán confirmarse. Todas las fotografías son propiedad intelectual de malcolm propiedades y no es permitida su utilización comercial. Información y fotografías no son vinculantes ni contractuales y no comprometen a la empresa ni al profesional interviniente. . La publicación de este inmueble es a solo título informativo, pues la venta de la propiedad está supeditada a que el propietario cumplimente el trámite ante el arca para la obtención del número de coti correspondiente.

Contactar