(1) (1)
  • Belgrano C

Venta

Terreno

USD 1-40K

Buscar solo avisos en moneda:

Dorm|Amb

Más filtros Más filtros

Características

Superficie total

Nombre de calle y altura

Tipo de urbanización

Fot

Tipo de anunciante

3 Terrenos en Venta en Belgrano C

1/3
Visto

0

Consultar precio

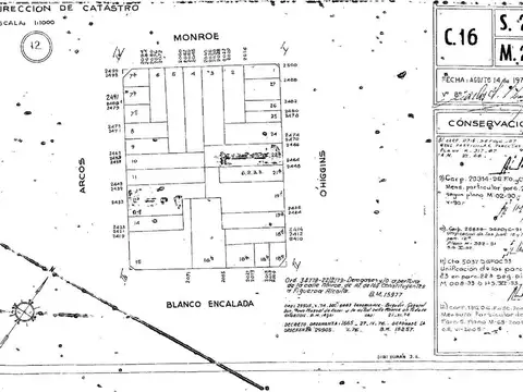
Arcos 2400 E/ Monroe y Bco. Encalada

Terreno en Venta en Belgrano, Capital Federal

Interwin Marketing Inmobiliario
  • 261 m² Total
  • 8 mts Frente
  • 30 mts Fondo

Terreno en Belgrano

Barrio: belgrano | superficie total: 261 m2frente: 8,66 m | fondo: 30,42 m aph: no | aph linderos: no manzana atípica: no | linderos consolidados: no zona cpu (código derogado): r2aii fot: 3,46 | sup. S/ fot: 903 m2 zona cu (código vigente): usaa h= 22,80 m | pb + 7 pisos + 2 retiros lfi: 16/ 23m | parcela alcanzada por tronera. Se contempla un enrase parcial sobre proyección de lfi de parcela 012a. Sup. Vendible estimada: 1.335 m2 plusvalía = ( a (dif. M2) x b (incidencia) x c (alicuota x barrio %)) sup. Construible estimada (s/ balcones) = 1.641 m2 sup. Construible al 80% = 1.313 m2 | a = 1.313 m2 - 723 m2 = 589 m2 | b = 380 uva/s | c = 35 % considerando las condiciones del lote, las regulaciones por altura máxima edificable y limitaciones al dominio consideramos que se podía ejecutar una superficie vendible estimada de 903 m2. En base a las condiciones del código urbano vigente se pueden ejecutar un estimado de 1.310 m2 vendibles. Sobre el beneficio de la capacidad construible de la parcela otorgado por el cambio de normativa impacta el impuesto a la plusvalia urbana (ley n 6062), por un monto estimado de uvas 78.380.- ( Equivalentes a un estimado de u$s 92.044.- Al 25/11/2025). *Este estudio es preliminar ya que hay normas del codigo urbano que estan sujetas a revision. Todas las imágenes, planos, descripciones, y características indicadas son meramente referenciales e ilustrativas y podrán ser modificadas sin previo aviso. Las superficies indicadas son estimadas. Las superficies y medidas definitivas surgirán del plano de mensura final aprobado oportunamente por el gcba. Las fechas de inicio de obra o posesión son estimadas, podrán ser reprogramadas por la dirección de obra y dependerán a su vez de un proceso de aprobaciones municipales u otros organismos intervinientes. Los precios indicados podrán modificarse sin previo aviso. El interesado deberá realizar las verificaciones respectivas previamente a la realización de cualquier operación, requiriendo por sí o sus profesionales las copias necesarias de la documentación que corresponda.

Contactar
1/3
Visto

0

Consultar precio

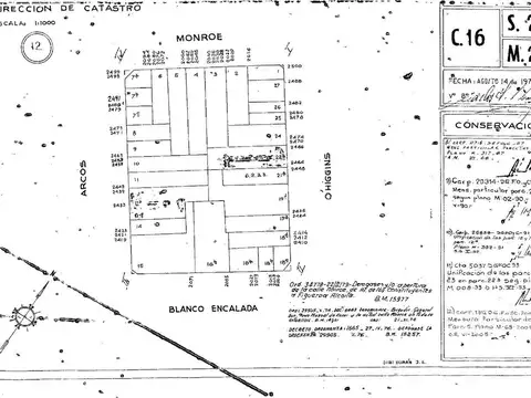
Arcos 2400 E/ Monroe y Bco. Encalada

Terreno en Venta en Belgrano, Capital Federal

Interwin Marketing Inmobiliario
  • 261 m² Total
  • 8 mts Frente
  • 30 mts Fondo

Terreno en Belgrano

Barrio: belgrano | superficie total: 261 m2frente: 8,66 m | fondo: 30,42 m aph: no | aph linderos: no manzana atípica: no | linderos consolidados: no zona cpu (código derogado): r2aii fot: 3,46 | sup. S/ fot: 903 m2 zona cu (código vigente): usaa h= 22,80 m | pb + 7 pisos + 2 retiros lfi: 16/ 23m | parcela alcanzada por tronera. Se contempla un enrase parcial sobre proyección de lfi de parcela 012a. Sup. Vendible estimada: 1.335 m2 plusvalía = ( a (dif. M2) x b (incidencia) x c (alicuota x barrio %)) sup. Construible estimada (s/ balcones) = 1.641 m2 sup. Construible al 80% = 1.313 m2 | a = 1.313 m2 - 723 m2 = 589 m2 | b = 380 uva/s | c = 35 % considerando las condiciones del lote, las regulaciones por altura máxima edificable y limitaciones al dominio consideramos que se podía ejecutar una superficie vendible estimada de 903 m2. En base a las condiciones del código urbano vigente se pueden ejecutar un estimado de 1.310 m2 vendibles. Sobre el beneficio de la capacidad construible de la parcela otorgado por el cambio de normativa impacta el impuesto a la plusvalia urbana (ley n 6062), por un monto estimado de uvas 78.380.- ( Equivalentes a un estimado de u$s 92.044.- Al 25/11/2025). *Este estudio es preliminar ya que hay normas del codigo urbano que estan sujetas a revision. Todas las imágenes, planos, descripciones, y características indicadas son meramente referenciales e ilustrativas y podrán ser modificadas sin previo aviso. Las superficies indicadas son estimadas. Las superficies y medidas definitivas surgirán del plano de mensura final aprobado oportunamente por el gcba. Las fechas de inicio de obra o posesión son estimadas, podrán ser reprogramadas por la dirección de obra y dependerán a su vez de un proceso de aprobaciones municipales u otros organismos intervinientes. Los precios indicados podrán modificarse sin previo aviso. El interesado deberá realizar las verificaciones respectivas previamente a la realización de cualquier operación, requiriendo por sí o sus profesionales las copias necesarias de la documentación que corresponda.

Contactar