(1) (1)
  • Bella Italia

Venta

Terreno

USD desde 60K

Buscar solo avisos en moneda:

Dorm|Amb

Más filtros Más filtros

Características

Superficie total

Nombre de calle y altura

Tipo de urbanización

Fot

Servicios

Tipo de anunciante

2 Terrenos en Venta en Bella Italia

1/6
Visto

0

Consultar precio

Bellta Italia Productiva

Terreno en Venta en Bella Italia, Departamento de Castellanos

REMAX Confianza
  • 1.973 m² Total
  • Excelente

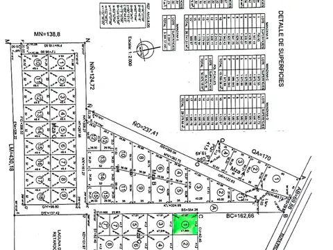
VENTA / LOTE BELLA ITALIA PRODUCTIVA / 1973 M2

Corredor responsable: joaquín eguiazu cci 859 - contacto: daniel yost remax confianza vende terreno en loteo bella italia productiva- zona industrial. Área comercial ,industrial y de servicios. Lote n° 1, manzana c, con frente al oeste de 48 metros por 41 metros de fondo, con una superficie total de 1973 m2. Ubicado a pocos metros de la ruta 70. Cuenta con cordón cuneta, ripio, obras de agua corriente, alumbrado publico. Ideal como inversión para actividades productivas, almacenes, depósitos, empresas de transportes y servicios. Posibilidad de financiacion. Rau s.R.L. No ejerce el corretaje inmobiliario. El presente sitio web es una plataforma en donde cada oficina inmobiliaria independiente que contrata los servicios re/max puede publicar las propiedades a su cargo. Cada oficina es de propiedad y gestión independiente, por lo que rau s.R.L. No interviene en los datos de la publicación, en la operación inmobiliaria, ni en la confección y/o firma del boleto de compraventa y/o escritura y/o contrato de alquiler. En cumplimiento de las leyes vigentes que regulan el corretaje inmobiliario, ley nacional 25.028, ley 22.802 de lealtad comercial, ley 24.240 de defensa al consumidor, las normas del código civil y comercial de la nación y constitucionales, los agentes/gestores no ejercen el corretaje inmobiliario. Todas las operaciones inmobiliarias son objeto de intermediación y conclusión por parte del corredor público inmobiliario colegiado a cargo de la publicación, cuyos datos se exhiben en la presente. La presente publicación describe las características esenciales del inmueble, debiéndose consultar al corredor público inmobiliario responsable de la operación por la eventual actualización de las medidas, descripciones arquitectónicas y funcionales, valores de expensas, servicios, impuestos, precios y demás información, cuyos valores son aproximados.

Contactar