(1) (1)
  • Bella Italia

Venta

Terreno

USD hasta 70K

Buscar solo avisos en moneda:

Dorm|Amb

Más filtros Más filtros

Características

Superficie total

Nombre de calle y altura

Tipo de urbanización

Fot

Servicios

Tipo de anunciante

14 Terrenos en Venta en Bella Italia

1/5
Visto

0

USD 50.000

Loteo los teros 100, Piso 0

Terreno en Venta en Bella Italia, Departamento de Castellanos

C21 Bessone
  • 1.000 m² Total
  • 20 mts Frente
  • 50 mts Fondo

Terreno en venta en Bella Italia

Se vende terreno en zona de casas-quinta en bella italia. Excelente entorno y tranquilidad bessone guillermo luis matrícula c.C.I. 0311 teléfonos de contacto 07 todas las propiedades que figuran en esta publicación se encuentran a cargo del profesional matriculado bessone guillermo luis, matrícula c.C.I. 0311 por lo tanto la intermediación y la conclusión de las operaciones serán llevadas exclusivamente por él. En cumplimiento de la ley 10.973 de la provincia de buenos aires, ley nacional 25.028, ley nacional 20.266, ley 22.802 de lealtad comercial, ley 24.240 de defensa al consumidor, las normas del código civil y comercial de la nación y constitucionales, los asesores o agentes no ejercen el corretaje inmobiliario. Todas las operaciones inmobiliarias son objeto de intermediación y conclusión por parte del martillero y corredor colegiado, cuyos datos se exhiben en el nombre de la inmobiliaria. Ley 5115: excepto que en la descripción de la propiedad se indique lo contrario, el edificio puede no contar con rampa para personas con movilidad reducida, y no ser accesible para personas con discapacidades físicas. Venta sujeta a la obtención del coti por parte del propietario. Las medidas son aproximadas, las reales surgen del título o plano de mensura. Las reservas se toman exclusivamente en la inmobiliaria con el matriculado c.C.I. 0311

Contactar
1/2
Visto

0

USD 45.000

Calle Publica , Piso 0

Terreno en Venta en Bella Italia, Departamento de Castellanos

C21 Bessone
  • 890 m² Total
  • 34,23 mts Frente
  • 26 mts Fondo

Se vende Terreno en Esquina en Parque Industrial de Bella Italia

Se vende terreno en parque industrial en bella italia, el mismo se encuentra situado en la esquina sureste, sobre la calle principial ripiada. La superficie que dispone es de 890 mts2. Listo para transferir, ideal para desarrollo productivo. Bessone guillermo luis matrícula c.C.I. 0311 teléfonos de contacto 07 todas las propiedades que figuran en esta publicación se encuentran a cargo del profesional matriculado bessone guillermo luis, matrícula c.C.I. 0311 por lo tanto la intermediación y la conclusión de las operaciones serán llevadas exclusivamente por él. En cumplimiento de la ley 10.973 de la provincia de buenos aires, ley nacional 25.028, ley nacional 20.266, ley 22.802 de lealtad comercial, ley 24.240 de defensa al consumidor, las normas del código civil y comercial de la nación y constitucionales, los asesores o agentes no ejercen el corretaje inmobiliario. Todas las operaciones inmobiliarias son objeto de intermediación y conclusión por parte del martillero y corredor colegiado, cuyos datos se exhiben en el nombre de la inmobiliaria. Ley 5115: excepto que en la descripción de la propiedad se indique lo contrario, el edificio puede no contar con rampa para personas con movilidad reducida, y no ser accesible para personas con discapacidades físicas. Venta sujeta a la obtención del coti por parte del propietario. Las medidas son aproximadas, las reales surgen del título o plano de mensura. Las reservas se toman exclusivamente en la inmobiliaria con el matriculado c.C.I. 0311

Contactar
1/6
Visto

0

USD 61.000

Bellta Italia Productiva

Terreno en Venta en Bella Italia, Departamento de Castellanos

REMAX Confianza
  • 1.973 m² Total
  • Excelente

VENTA / LOTE BELLA ITALIA PRODUCTIVA / 1973 M2

Corredor responsable: joaquín eguiazu cci 859 - contacto: daniel yost remax confianza vende terreno en loteo bella italia productiva- zona industrial. Área comercial ,industrial y de servicios. Lote n° 1, manzana c, con frente al oeste de 48 metros por 41 metros de fondo, con una superficie total de 1973 m2. Ubicado a pocos metros de la ruta 70. Cuenta con cordón cuneta, ripio, obras de agua corriente, alumbrado publico. Ideal como inversión para actividades productivas, almacenes, depósitos, empresas de transportes y servicios. Posibilidad de financiacion. Rau s.R.L. No ejerce el corretaje inmobiliario. El presente sitio web es una plataforma en donde cada oficina inmobiliaria independiente que contrata los servicios re/max puede publicar las propiedades a su cargo. Cada oficina es de propiedad y gestión independiente, por lo que rau s.R.L. No interviene en los datos de la publicación, en la operación inmobiliaria, ni en la confección y/o firma del boleto de compraventa y/o escritura y/o contrato de alquiler. En cumplimiento de las leyes vigentes que regulan el corretaje inmobiliario, ley nacional 25.028, ley 22.802 de lealtad comercial, ley 24.240 de defensa al consumidor, las normas del código civil y comercial de la nación y constitucionales, los agentes/gestores no ejercen el corretaje inmobiliario. Todas las operaciones inmobiliarias son objeto de intermediación y conclusión por parte del corredor público inmobiliario colegiado a cargo de la publicación, cuyos datos se exhiben en la presente. La presente publicación describe las características esenciales del inmueble, debiéndose consultar al corredor público inmobiliario responsable de la operación por la eventual actualización de las medidas, descripciones arquitectónicas y funcionales, valores de expensas, servicios, impuestos, precios y demás información, cuyos valores son aproximados.

Contactar
1/3
Visto

0

USD 22.000

Mendoza

Terreno en Venta en Bella Italia, Departamento de Castellanos

REMAX Confianza
  • 360 m² Total

VENTA / LOTE FINANCIADO / BELLA ITALIA

Corredor responsable: joaquín eguiazu cci 859 - contacto: sandra montagna remax confianza vende lote en bella italia. El mismo cuenta con una superficie de 360 m2 (12m x 30m). Barrio nuevo del sector de bella italia, ideal para visualizar tu hogar a corto plazo. Forma de pago: entrega y financiación o 100% financiacion. Es tu oportunidad! Tu sueño se hace realidad.! Rau s.R.L. No ejerce el corretaje inmobiliario. El presente sitio web es una plataforma en donde cada oficina inmobiliaria independiente que contrata los servicios re/max puede publicar las propiedades a su cargo. Cada oficina es de propiedad y gestión independiente, por lo que rau s.R.L. No interviene en los datos de la publicación, en la operación inmobiliaria, ni en la confección y/o firma del boleto de compraventa y/o escritura y/o contrato de alquiler. En cumplimiento de las leyes vigentes que regulan el corretaje inmobiliario, ley nacional 25.028, ley 22.802 de lealtad comercial, ley 24.240 de defensa al consumidor, las normas del código civil y comercial de la nación y constitucionales, los agentes/gestores no ejercen el corretaje inmobiliario. Todas las operaciones inmobiliarias son objeto de intermediación y conclusión por parte del corredor público inmobiliario colegiado a cargo de la publicación, cuyos datos se exhiben en la presente. La presente publicación describe las características esenciales del inmueble, debiéndose consultar al corredor público inmobiliario responsable de la operación por la eventual actualización de las medidas, descripciones arquitectónicas y funcionales, valores de expensas, servicios, impuestos, precios y demás información, cuyos valores son aproximados.

Contactar
1/4
Visto

0

USD 32.000

Santiago del Estero

Terreno en Venta en Bella Italia, Departamento de Castellanos

REMAX Confianza
  • 310 m² Total
  • Muy Bueno

VENTA/ LOTE EN ESQUINA/ BELLA ITALIA

Corredor responsable: joaquín eguiazu cci 859 - contacto: leonardo sereno venta terreno 310 m² en bella italia, santa fe terreno urbano estratégicamente ubicado en zona céntrica de bella italia, sobre la intersección de santiago del estero y misiones. Predio de esquina que ofrece amplias posibilidades constructivas, con excelente potencial para desarrollo residencial o comercial. Características principales: superficie total de 310 m² (10 metros de frente por 31 metros de fondo) ubicación privilegiada: próximo a dependencias municipales, destacamento policial y centro de salud asfalto en ambas calles perimetrales orientación sur terreno a nivel, con elevación adecuada para construcción servicios disponibles: electricidad desagüe cloacal zona urbana consolidada condición general: terreno a estrenar, sin construcciones previas, listo para desarrollar proyectos inmobiliarios con máximo aprovechamiento de su ubicación central. Ideal para inversores y desarrolladores que busquen un terreno con potencial de valorización en una ubicación estratégica del pueblo de bella italia. Rau s.R.L. No ejerce el corretaje inmobiliario. El presente sitio web es una plataforma en donde cada oficina inmobiliaria independiente que contrata los servicios re/max puede publicar las propiedades a su cargo. Cada oficina es de propiedad y gestión independiente, por lo que rau s.R.L. No interviene en los datos de la publicación, en la operación inmobiliaria, ni en la confección y/o firma del boleto de compraventa y/o escritura y/o contrato de alquiler. En cumplimiento de las leyes vigentes que regulan el corretaje inmobiliario, ley nacional 25.028, ley 22.802 de lealtad comercial, ley 24.240 de defensa al consumidor, las normas del código civil y comercial de la nación y constitucionales, los agentes/gestores no ejercen el corretaje inmobiliario. Todas las operaciones inmobiliarias son objeto de intermediación y conclusión por parte del corredor público inmobiliario colegiado a cargo de la publicación, cuyos datos se exhiben en la presente. La presente publicación describe las características esenciales del inmueble, debiéndose consultar al corredor público inmobiliario responsable de la operación por la eventual actualización de las medidas, descripciones arquitectónicas y funcionales, valores de expensas, servicios, impuestos, precios y demás información, cuyos valores son aproximados.

Contactar
1/5
Visto

0

Consultar precio

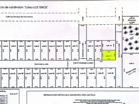
Los Teros

Terreno en Venta en Bella Italia, Departamento de Castellanos

REMAX Confianza
  • 875 m² Total

VENTA/ TERRENO ESQ./ LOTEO LOS TEROS/ BELLA ITALIA

Corredor responsable: joaquín eguiazu cci 859 - contacto: vanina gorlino re/max confianza vende lote en esquina en el sector sur oeste de la localidad de bella italia, en la continuación del barrio los solares, sector exclusivamente residencial en crecimiento constante. Medidas: 35,00m al norte x 25,00m al oeste, 875m2 ubicación-orientación: esquina noroeste, designado según plano como lote n 17 servicios: alumbrado público, plantación de especies arbóreas, agua y cloacas ideal para quienes planifican a futuro una vivienda en un sector tranquilo y familiar. Se analizan propuestas con financiación. Pronto a escriturar. Rau s.R.L. No ejerce el corretaje inmobiliario. El presente sitio web es una plataforma en donde cada oficina inmobiliaria independiente que contrata los servicios re/max puede publicar las propiedades a su cargo. Cada oficina es de propiedad y gestión independiente, por lo que rau s.R.L. No interviene en los datos de la publicación, en la operación inmobiliaria, ni en la confección y/o firma del boleto de compraventa y/o escritura y/o contrato de alquiler. En cumplimiento de las leyes vigentes que regulan el corretaje inmobiliario, ley nacional 25.028, ley 22.802 de lealtad comercial, ley 24.240 de defensa al consumidor, las normas del código civil y comercial de la nación y constitucionales, los agentes/gestores no ejercen el corretaje inmobiliario. Todas las operaciones inmobiliarias son objeto de intermediación y conclusión por parte del corredor público inmobiliario colegiado a cargo de la publicación, cuyos datos se exhiben en la presente. La presente publicación describe las características esenciales del inmueble, debiéndose consultar al corredor público inmobiliario responsable de la operación por la eventual actualización de las medidas, descripciones arquitectónicas y funcionales, valores de expensas, servicios, impuestos, precios y demás información, cuyos valores son aproximados.

Contactar