(1) (1)
  • Bella Vista

Venta

Terreno

USD desde 56K

Buscar solo avisos en moneda:

Dorm|Amb

Más filtros Más filtros

Características

Superficie total

Nombre de calle y altura

Tipo de urbanización

Fot

Servicios

Tipo de anunciante

416 Terrenos en Venta en Bella Vista

1/13
Visto

120

USD 90.000

Héroes de Malvinas al 400

Terreno en Venta en Bella Vista, San Miguel

Agustin Kirkby Propiedades

Terreno - Bella Vista

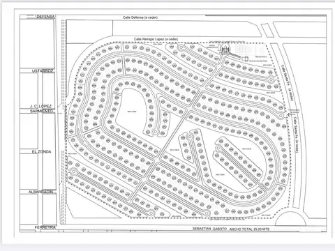
Venta de lotes en barrio cerrado village joven en -bella vista- dirección: héroes de malvinas 490 (mayor irusta y chapeaurouge ) -bella vista - (ingreso por defensa) lotes de 600 y 620 mts2 - lote central u$s 90.000- (dólares) acepta permuta / vehículo village joven es el primer barrio del masterplan y consiste en el desarrollo de un proyecto de 368 lotes con un promedio de 625 m2. Es un barrio que se proyectó, a valores únicos en el mercado de bella vista y teniendo en cuenta los requerimientos y las necesidades de la zona. El barrio contará con todas sus redes subterráneas, tanto de electricidad, gas y agua como de cloaca. Además tendrá un sistema de desagues pluviales y calles internas asfaltadas, alumbrado público, pilares de servicios, parquización y edificio de acceso. Amenities: - canchas de tennis - cancha de futbol - club house - 2 plazas de usos comunes - sum vigilancia 24hs * red eléctrica subterránea * calles pavimentadas * desagues pluviales * alumbrado público * parquización * red cloacal * red de agua * red de gas cercanias: * barrios cerrados: * buenos aires golf club * los berros * los berros 2 * buenos aires village * san miguel de ghiso educación: * colegio de la providencia * colegio de los santos padres * colegio santa ethnea otros: * paseo comercial los berros * ypf * shell accesos: * av. Gaspar campos * av. Senador morón * av. Pardo *av. Julio roca - martin fierro * au del buen ayre contacto: agustín stransky teléfono: agustín kirkby propiedades -leon gallardo 389- san miguel #lote #terreno #inversión # #inmobiliaria

Contactar
1/7
Visto

101

USD 112.000

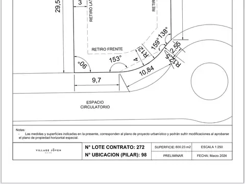
Mayor Irusta

Terreno en Venta en Bella Vista, San Miguel

  • 625 m² Total
  • Excelente

VENTA de lote central en barrio VILLAGE JOVEN en Bella vista

Venta de lote central en barrio cerrado village joven en -bella vista- mayor irusta y chapeaurouge -bella vista - (ingreso por defensa) lote de 625 mts2 - ubicación lote 245 -lote central u$s 125.000- (dólares) - acepta permuta / vehículo village joven es el primer barrio del masterplan y consiste en el desarrollo de un proyecto de 368 lotes con un promedio de 625 m2. Es un barrio que se proyectó, a valores únicos en el mercado de bella vista y teniendo en cuenta los requerimientos y las necesidades de la zona. El barrio contará con todas sus redes subterráneas, tanto de electricidad, gas y agua como de cloaca. Además tendrá un sistema de desagües pluviales y calles internas asfaltadas, alumbrado público, pilares de servicios, parquización y edificio de acceso. Amenities: - canchas de tennis - cancha de futbol - club house - 2 plazas de usos comunes - sum vigilancia 24hs * red eléctrica subterránea * calles pavimentadas * desagües pluviales * alumbrado público * parquización * red cloacal * red de agua * red de gas cercanias: * barrios cerrados: * buenos aires golf club * los berros * los berros 2 * buenos aires village * san miguel de ghiso educación: * colegio de la providencia * colegio de los santos padres * colegio santa ethnea otros: * paseo comercial los berros * ypf * shell accesos: * av. Gaspar campos * av. Senador morón * av. Pardo *av. Julio roca - martin fierro * au del buen ayre contacto: lucchese sergio teléfono: ferreiro propiedades muñoz 1091, san miguel

Contactar
1/8
Visto

50

USD 115.000

Village Joven

Terreno en Venta en Bella Vista, San Miguel

JULIAN AGUILAR
  • 605 m² Total

VENTA - Lote en Village Joven - Bella Vista

Venta - lotes en el barrio village joven - bella vista village joven es el primer barrio del masterplan y consiste en el desarrollo de un proyecto de 368 lotes con un promedio de 625 m2. Es un barrio que se proyectó, a valores únicos en el mercado de bella vista y teniendo en cuenta los requerimientos y las necesidades de la zona. El barrio contará con todas sus redes subterráneas, tanto de electricidad y agua como de cloaca. Además tendrá un sistema de desagues pluviales y calles internas asfaltadas, alumbrado público, pilares de servicios, parquización y edificio de acceso. Por último, contará con un sector deportivo con canchas de tenis, futbol y club house. Corredor interviniente: j. Aguilar brokers inmobiliarios cmcpsi n 6737 - cucicba 7839 la tasación, intermediación y la conclusión de las operaciones sobre esta propiedad son actividades exclusivas de este corredor matriculado, conforme las previsiones de la ley 20.266, la ley caba 2340, la ley provincial 10.973 y sus modif. Y las normas reglamentarias dictadas por los colegios departamentales. Las oficinas asociadas a la red keller williams actúan en forma independiente, brindando servicios a corredores, agentes y al público en general, y su intervención se limita a la prestación de servicios inmobiliarios que no incluyen actos de corretaje ni intermediación inmobiliaria.

Contactar