(1) (1)
  • Castelar

Venta

Terreno

USD desde 300K

Buscar solo avisos en moneda:

Dorm|Amb

Más filtros Más filtros

Características

Superficie total

Nombre de calle y altura

Tipo de urbanización

Fot

Servicios

Tipo de anunciante

15 Terrenos en Venta en Castelar

1/9
Visto

0

USD 1.200.000

Av. segunda Rivadavia 19800, Piso 0

Terreno en Venta en Castelar, Moron

C21 Portela Sabrina
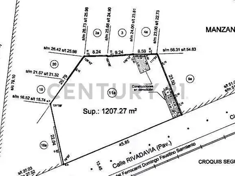
  • 1.207,27 m² Total

Venta Lote Terreno Castelar Ideal Inversor

Venta lote, terreno en castelar, ideal inversor a una cuadra estación castelar. Oportunidad terreno a la venta en castelar a metros de la estación. Con posibilidad de construir aproximadamente: 3200m2. Superficie: 1207.27 m2. Zona: rtma (residencial de transición media alta). Representa este terreno, una excelente oportunidad para desarrolladores como inversores con la posibilidad de construir departamentos, oficinas, locales, canchas de paddle y otros varios proyectos a poder desarrollar. Medidas: frente: 45.85 fondo: 46.86 lateral izquierdo: 22.04 lateral derecho: 23.50 usos permitidos: -residencial -administrativo -comercio -servicio -equipamiento -pequeños talleres -pequeños depósitos f.O.T. 1.6 f.O.S. 0.6 qué estás esperando llamame y vayamos a verlo sabrina eva portela matrícula cucicba 8933 / cmcpm 3000 teléfonos de contacto todas las propiedades que figuran en esta publicación se encuentran a cargo del profesional matriculado sabrina eva portela, matrícula cucicba 8933 / cmcpm 3000 por lo tanto la intermediación y la conclusión de las operaciones serán llevadas exclusivamente por él. En cumplimiento de la ley 10.973 de la provincia de buenos aires, ley nacional 25.028, ley nacional 20.266, ley 22.802 de lealtad comercial, ley 24.240 de defensa al consumidor, las normas del código civil y comercial de la nación y constitucionales, los asesores o agentes no ejercen el corretaje inmobiliario. Todas las operaciones inmobiliarias son objeto de intermediación y conclusión por parte del martillero y corredor colegiado, cuyos datos se exhiben en el nombre de la inmobiliaria. Ley 5115: excepto que en la descripción de la propiedad se indique lo contrario, el edificio puede no contar con rampa para personas con movilidad reducida, y no ser accesible para personas con discapacidades físicas. Venta sujeta a la obtención del coti por parte del propietario. Las medidas son aproximadas, las reales surgen del título o plano de mensura. Las reservas se toman exclusivamente en la inmobiliaria con el matriculado cucicba 8933 / cmcpm 3000

Contactar