(1) (1)
  • Floresta Sur

Venta

Terreno

USD 160K-300K

Buscar solo avisos en moneda:

Dorm|Amb

Más filtros Más filtros

Características

Superficie total

Nombre de calle y altura

Tipo de urbanización

Fot

Servicios

Tipo de anunciante

2 Terrenos en Venta en Floresta Sur

1/9
Visto

0

USD 240.000

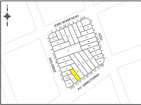
Av Directorio al 3400

Terreno en Venta en Floresta Sur, Floresta

Real Props
  • 228 m² Total
  • 8 mts Frente
  • 26 mts Fondo

Venta - Terreno: Planta baja 9 Pisos - Más de 1.200m² vendibles- Floresta

Venta - oportunidad - terreno en floresta planta baja + 9 pisos - más de 1.200 m2 vendibles información del terreno: frente 8.66m x fondo 26.33m superficie total del terreno: 228.02m2 nuevo código de edificabilidad: unidad de sustentabilidad de altura alta altura máxima edificable: 22.8m edificación posible: planta baja + 7 pisos + 2 pisos con retiros cantidad de m2 vendibles aproximados: 1253m2 esta zona corresponde a las áreas y corredores destinados a residencia, depósitos, equipamientos y servicios y comercios de gran afluencia. Estudio de factibilidad a disposición. Incidencia baja posibilidad de tomar m2 en parte de pago, consultar! Ubicacion: inmejorable ubicación, sobre avenida directorio en el barrio de floresta. Cercano a las avenidas más conocidas de la zona y con fácil acceso a la autopista perito moreno. También con proximidad a la estaciones del subte san pedrito y del tren floresta. Líneas de colectivos cercanas varias: 4, 55, 86, 88, 96, 104, 114, 126, 180. Terreno próximo a comercios de todo tipo, tales como escuelas, hospitales, plazas, entre otros. No accesible personas con movilidad reducida en cumplimiento de las normas legales aplicables, informamos que los agentes no ejercen el corretaje inmobiliario. Todas las operaciones son concluidas por el corredor inmobiliario matriculado responsable de la oficina pablo ariel juan cucicba 7458 - cmcpsi 6822

Contactar