(1) (1)
  • Saint Thomas

Venta

Terreno

USD 80K-145K

Buscar solo avisos en moneda:

Dorm|Amb

Más filtros Más filtros

Características

Superficie total

Nombre de calle y altura

Tipo de urbanización

Fot

Servicios

Tipo de anunciante

33 Terrenos en Venta en Saint Thomas

1/30
Visto

150

USD 92.000

Saint thomas 100

Terreno en Venta en Saint Thomas, Countries y Barrios Cerrados en Esteban Echeverria

VIGORE PROPIEDADES
  • 700 m² Total
  • 35 mts Frente
  • 20 mts Fondo

Lote en Venta Saint Thomas Chico 717m² – Oportunidad en Barrio Exclusivo

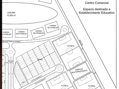
Oportunidad de inversión en un exclusivo terreno en venta ubicado en la calle saint thomas ch, saint thomas, esteban echeverría. Este lote de 717 m² se presenta como una opción ideal para quienes buscan desarrollar un proyecto en un entorno privilegiado. El precio de venta es de u$d 92.000, lo que representa una inversión atractiva en una zona en crecimiento. El terreno cuenta con una variedad de amenidades que lo distinguen, incluyendo un moderno gimnasio, oficinas administrativas y una cancha de hockey sintético, ideal para fomentar la actividad física y el esparcimiento. Además, el desarrollo ofrece servicios esenciales como agua corriente, luz, teléfono, gas natural, pavimento, desagüe cloacal e internet, garantizando comodidad y funcionalidad. Sumado a estas características, el barrio privado ofrece una serie de espacios recreativos como canchas de fútbol, tenis, una piscina, un club house y un quincho, todo bajo un estricto sistema de seguridad. Este lote es la oportunidad perfecta para crear un hogar o un proyecto comercial en un entorno seguro y arbolado, rodeado de áreas verdes que invitan al disfrute y la tranquilidad. Todas las propiedades que figuran en nuestra cartera se encuentran a cargo del profesional matriculado de la oficina, la intermediación y la conclusión de las operaciones serán llevadas exclusivamente por él *las medidas indicadas son aproximadas asi como las fotos y tienen solo efectos orientativos y no son vinculantes. Las superficies definitivas serán las que resulten conforme al plano definitivo de subdivisión definitivo en la escritura publica la marca “vigore propiedades” identifica únicamente un espacio de coworking y servicios administrativos/comerciales donde distintos profesionales matriculados en cucicba y en cpmclz alquilan puestos de trabajo y realizan sus operaciones en forma independiente, bajo su exclusiva responsabilidad profesional, conforme lo establece el artículo 15 de la ley 2.340 de la ciudad autónoma de buenos aires y la ley 10.973 (modif. 14.085) de la provincia de buenos aires. Vigore argentina sa (vigore propiedades) no realiza ni ha realizado actos de corretaje inmobiliario, ni participa en la intermediación, tasación o negociación de bienes inmuebles, dentro ni fuera de la jurisdicción de caba, provincia de buenos aires ni otras jurisdicciones de la republica argentina. Su función se limita a brindar servicios de marketing, diseño, comunicación digital y asistencia administrativa a corredores matriculados. Mariano colla cpmclz 4081

Contactar
1/7
Visto

110

USD 80.000

Juana De Arco 5500

Terreno en Venta en Saint Thomas, Countries y Barrios Cerrados en Esteban Echeverria

PRIZMA BROKERS
  • 700 m² Total

Lote interno

[Prizmab-1923] venta de excelente lote interno. Saint thomas chico. Nuevo barrio, nuevo modelo, gran calidad en un predio de 70 hectáreas donde se desarrollan 580 lotes, st. Thomas chico es el nuevo barrio privado de st. Thomas. Desarrollado con toda la calidad contando con servicios subterráneos (luz, gas, agua, fibra óptica, cloaca) e infraestructura moderna para disfrutar en familia. Organización social & deportiva destacado por un polideportivo excepcional, este lugar ofrece una amplia gama de instalaciones deportivas, incluyendo canchas de tenis, fútbol, básquetbol, squash, hockey y pádel. Además, cuenta con tres piscinas, una de ellas climatizada y cubierta, así como un completo gimnasio. No solo se enfoca en lo deportivo, sino que también invita a disfrutar de una experiencia social. Sus comodidades incluyen un restaurante de primera categoría, un elegante salón para eventos, amplias áreas verdes y dos impresionantes lagunas, una de 12 mil m2 y otra de 2500 m2. Infraestructura: paseo comercial polo gastronómico laguna 12.000 m2 laguna con fuente club house gimnasio 2 canchas de squash profesionales 11 canchas de tenis 3 canchas de fútbol 11 polideportivo múltiples usos 1 cancha de fútbol sintético 50x30m pileta climatizada y cubierta pileta semi olímpica salón para eventos cancha de paddle profesional de blindex áreas verdes servicios: cloacas, gas todas las medidas enunciadas son meramente orientativas, las medidas exactas serán las que se expresen en el respectivo título de propiedad del inmueble. Corredor interviniente: corredor interviniente: clayton pearse cucicba 7987 - pablo lipina cucicba 7680. Matricula provincia de buenos aires, a cargo de clayton pearse mat. 4218 cpmclz. En cumplimiento de las leyes provinciales vigentes que regulan el corretaje inmobiliario, ley nacional 25.028, ley 24.240 de defensa al consumidor, las normas del código civil y comercial de la nación, constitución nacional y provinciales, todas las operaciones inmobiliarias son objeto de intermediación y conclusión por los corredores debidamente colegiados indicados más arriba.

Contactar
1/13
Visto

23

USD 90.000

Juana De Arco St Chico

Terreno en Venta en Saint Thomas, Countries y Barrios Cerrados en Esteban Echeverria

J Dapelo Consultora Inmobiliaria
  • 700 m² Total

EXCELENTE UBICACION S.T. CHICO

En un predio de 70 hectáreas donde se desarrollan 580 lotes, st. Thomas chico es el nuevo barrio privado de st. Thomas. Desarrollado con toda la calidad contando con servicios subterráneos (luz, gas, agua, fibra óptica, cloaca) e infraestructura moderna para disfrutar en familia. Destacado por un polideportivo excepcional, este lugar ofrece una amplia gama de instalaciones deportivas, incluyendo canchas de tenis, fútbol, básquetbol, squash, hockey y pádel. Además, cuenta con tres piscinas, una de ellas climatizada y cubierta, así como un completo gimnasio. No solo se enfoca en lo deportivo, sino que también invita a disfrutar de una experiencia social. Sus comodidades incluyen un restaurante de primera categoría, un elegante salón para eventos, amplias áreas verdes y dos impresionantes lagunas, una de 12 mil m2 y otra de 2500 m2. Paseo comercial polo gastronómico laguna 12.000 m2 laguna con fuente club house gimnasio 2 canchas de squash profesionales 11 canchas de tenis 3 canchas de fútbol 11 polideportivo múltiples usos 1 cancha de fútbol sintético 50x30m pileta climatizada y cubierta pileta semi olímpica salón para eventos cancha de paddle profesional de blindex áreas verdes la posesión es en 3 años, es decir que no paga expensas ni otros gastos por ese periodo. Con la posibilidad de empezar a construir en 2 años, sin pago de expensas ni gastos adicionales mientras construye. Servicios: cloacas, gas

Contactar
1/15
Visto

1

USD 80.000

Juana De Arco 5500

Terreno en Venta en Saint Thomas, Countries y Barrios Cerrados en Esteban Echeverria

EVANGELISTA PROPIEDADES
  • 700 m² Total
  • 500 m² constr.
  • Excelente

LOTES SAINT THOMAS CHICO, BIEN UBICADOS.

[Evangelist-3] lotes en saint thomas chico, varias opciones bien ubicados. Lotes disponibles: 71, 68, 69, 332, 96. Ubicación privilegiada: juana de arco y sargento cabral a 35 min de caba y 10 min del aeropuerto de ezeiza superficie del lote: 700 m² (20x35 m) entrega estimada: inmediata obras avanzadas excelente oportunidad para vivir o invertir en el nuevo barrio cerrado de la familia saint thomas. Barrio privado premium 70 hectáreas 580 lotes desde 700 a 1.000 m² servicios subterráneos (agua, gas, luz, cloacas, fibra óptica) forestación con 28.000 árboles seguridad 24hs con monitoreo y senda perimetral calles asfaltadas con cordón cuneta y senda peatonal central amenities de alto nivel club house salón de eventos gimnasio sauna 2 lagunas (una con fuente decorativa) polideportivo multifunción 3 canchas de fútbol 11 + fútbol sintético 11 canchas de tenis 2 canchas de squash + 1 de pádel de blindex piscina climatizada + semiolímpica centro comercial con 52 locales colegio privado dentro del barrio (14.600 m² ubicación destacada a metros de: centro comercial las toscas supermercados y restaurantes premium colegios, golf club y otros barrios cerrados autopistas ezeizacañuelas y ricchieri ¡Consúltanos ahora! Servicios: cloacas, gas otros servicios: vivienda, medianera, alambrado perimetral

Contactar
1/13
Visto

0

USD 85.000

JUANA DE ARCO

Terreno en Venta en Saint Thomas, Countries y Barrios Cerrados en Esteban Echeverria

  • 700 m² Total

Lote en venta

Venta de lote interno en saint thomas chico, esteban echeverría lote interno de 700m2 en saint thomas chico. Se tomará posesión para junio del 2024 y hasta el momento no se abonaran expensas, lo que hace a una inversión mas rentable. Consultanos, estamos para asesorarte! Sobre saint thomas chico destacado por un polideportivo excepcional, este lugar ofrece una amplia gama de instalaciones deportivas, incluyendo canchas de tenis, fútbol, básquetbol, squash, hockey y pádel. Además, cuenta con tres piscinas, una de ellas climatizada y cubierta, así como un completo gimnasio. No solo se enfoca en lo deportivo, sino que también invita a disfrutar de una experiencia social. Sus comodidades incluyen un restaurante de primera categoría, un elegante salón para eventos, amplias áreas verdes y dos impresionantes lagunas, una de 12 mil m2 y otra de 2500 m2. Infraestructura: -paseo comercial -polo gastronómico -laguna 12.000 m2 -laguna con fuente -club house -gimnasio -2 canchas de squash profesionales -11 canchas de tenis -3 canchas de fútbol 11 -polideportivo múltiples usos -1 cancha de fútbol sintético 50x30m -pileta climatizada y cubierta -pileta semi olímpica -salón para eventos -cancha de paddle profesional de blindex -áreas verdesventa de lote interno en saint thomas chico, esteban echeverría graciela benitez matrícula col. 7647 teléfonos de contacto todas las propiedades que figuran en esta publicación se encuentran a cargo del profesional matriculado graciela benitez, matrícula col. 7647 por lo tanto la intermediación y la conclusión de las operaciones serán llevadas exclusivamente por él. En cumplimiento de la ley 10.973 de la provincia de buenos aires, ley nacional 25.028, ley nacional 20.266, ley 22.802 de lealtad comercial, ley 24.240 de defensa al consumidor, las normas del código civil y comercial de la nación y constitucionales, los asesores o agentes no ejercen el corretaje inmobiliario. Todas las operaciones inmobiliarias son objeto de intermediación y conclusión por parte del martillero y corredor colegiado, cuyos datos se exhiben en el nombre de la inmobiliaria. Ley 5115: excepto que en la descripción de la propiedad se indique lo contrario, el edificio puede no contar con rampa para personas con movilidad reducida, y no ser accesible para personas con discapacidades físicas. Venta sujeta a la obtención del coti por parte del propietario. Las medidas son aproximadas, las reales surgen del título o plano de mensura. Las reservas se toman exclusivamente en la inmobiliaria con el matriculado col. 7647

Contactar