(1) (1)
  • Santa Fe

Venta

Terreno

USD desde 40K

Buscar solo avisos en moneda:

Dorm|Amb

Más filtros Más filtros

Características

Superficie total

Nombre de calle y altura

Tipo de urbanización

Fot

Servicios

Tipo de anunciante

99 Terrenos en Venta en Santa Fe

1/9
Visto

1

USD 70.000

Barrio Los Troncos

Terreno en Venta en Santa Fe, Departamento de Santa Fe La Capital

Coldwell Banker de la Vera Cruz
  • 12.072 m² Total
  • 102 mts Frente
  • 134 mts Fondo

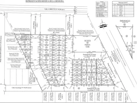
Terreno - Villa Yapeyu

Terreno ubicado a la altura de avenida blas parera al 8300, delimitado por avenida beruti, calle circundante al nuevo hospital iturraspe y en intersección con camino viejo, a unos pocos metros se hace el acceso por un barrio de conjunto de casas. Lote iv, ubicado al sur de la manzana8146-c, su vértice suroeste dista 64,15 mtrs de la intersección con calle azcuénaga pasaje bonazzola, y tiene su frente al este, con terreno afectado a la avenida circunvalación con el camino viejo esperanza. Existe la confección de un plano para loteo en el cual cediendo para calles y espacio vede se pueden obtener 41 terrenos de aproximación 8x20 cada uno, aprobado por el honorable consejo. Posee la obra de relleno solicitado. Ubicación y conexiones: a 100 metros por calle berutti circula la lineal de colectivo 1, a 300 metros al este se encuentra la escuela privada juan marcos y a una cuadra al norte de esta la escuela publica beltramino, aledaño a la escuela juan marcos se encuentra el centro de salud y comisaria,y en cercanías también hay existencia de una farmacia, supermercados, mayoristas, mas comercios, escuela de futbol, academias de bailes y en cuanto implntacion esta cercano al hospital sayago e iturraspe nuevo. 2025 coldwell banker. Todos los derechos reservados. Coldwell banker y los logotipos de coldwell banker son marcas de servicio de propiedad de coldwell banker real estate llc. El sistema coldwell banker está compuesto por oficinas propias de propiedad de una subsidiaria de realogy brokerage group llc y por oficinas adheridas al sistema coldwell banker que son de propiedad y operación independientes. En cumplimiento con la normativa vigente, los asesores no ejercen el corretaje inmobiliario. La intermediación y conclusión de las operaciones inmobiliarias es desarrollada por martilleros y corredores públicos. Esta oficina inmobiliaria se encuentra a cargo de carlos iovaldi, matrícula cci santa fe nro 0341 adherido al sistema coldwell banker de la vera cruz, -9, primera junta 2507, piso 7, oficina 1, santa fe.

Contactar