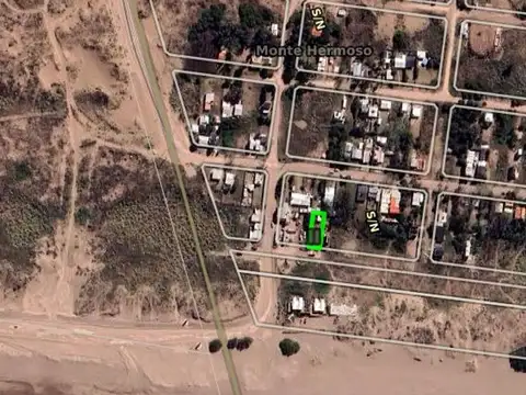
Puleston e/ Orense y Rodríguez

USD 35.100

Venta en Balneario Sauce Grande, Partido de Monte Hermoso

USD 35.100

  • Terreno

  • 385 m² Total

  • 11 mts Frente

  • 35 mts Fondo

Terreno venta - 11x35mts - 385mts2 totales - Balneario Sauce Grande

_ Terreno en venta ubicado en Calle Puleston entre Orense y Rodríguez - Monte Hermoso - Con orientación Norte y disposición frente,_ Regular entre medianeras, con medidas de 11mts de frente x 35mts de fondo - 385mts2 totales
_ Acceso por calle de tierra mejorada con servicio de electricidad en la zona
Yacoub | Construimos Confianza
Innovación | Calidad | Sustentabilidad | Diseño
70 Mil Metros Cuadrados | 23 Torres

La información descripta en el presente aviso es meramente orientativa y no forma parte de ningún tipo de documentación contractual. Los datos enunciados fueron proporcionados por los propietarios y pueden arrojar inexactitudes, las superficies definitivas surgirán del título de propiedad del inmueble referido.
Se deja constancia de que los valores y/o expensas pueden estar sujetas a verificación o ajuste.

Lo que estás buscando lo tenemos | Estés Donde Estés
Vendemos en Todos Lados.

Ubicación

Balneario Sauce Grande, Partido de Monte Hermoso, Costa Atlantica

Características

  • Long. Frente: 11 m

  • Long. Fondo: 35 m

  • Precio: USD 35.100

  • Sup. Total: 385 m2

  • Electricidad
  • Luz eléctrica
  • Electricidad

Código de aviso: 890431

Contactá al anunciante

YACOUB REAL ESTATE

+5411