Ruta Nacional 12

Consultar precio

Venta en Corrientes, Capital

Consultar precio

  • Terreno

  • 10.000 m² Total

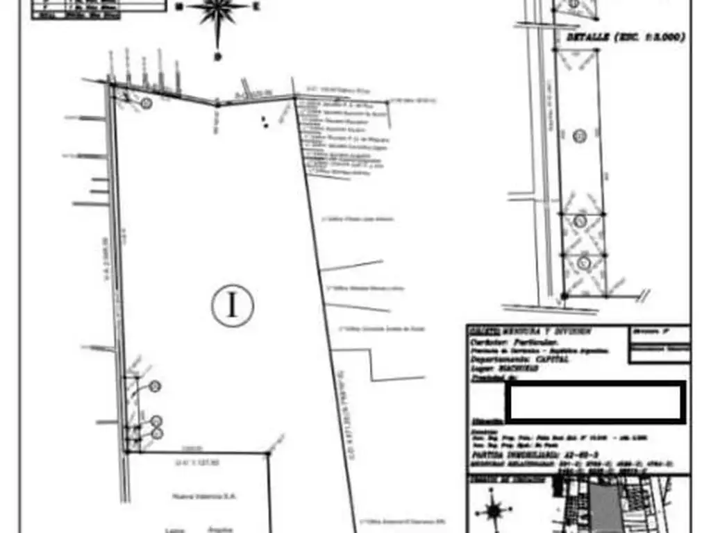
VENDO TERRENOS SOBRE RUTA NAC. 12

VARIO LOTES DE 10.000 TODOS SOBRE RUTA NACIONAL 12 DE MUY BUEN ACCESO. LINDERO CON EL PUEBLO DE RIACHUELO A 10 KM DE LA CIUDAD DE CORRIENTES. EXELENCTE UBICACION PARA DESARROLLO DE ACTIVIDAD COMERCIAL (LOGISTICA), QUE POR SIERTO YA SE ESTA OBSERVANDO EL ASENTAMIENTO DE EMPRESAS DE ESTA CARACTERISTICAS POR LA CERCANIA DE LA CIUDAD DE CORRIETES. LAS FRACIONES SON VARIAS

Acepta permuta

Ubicación

Corrientes, Corrientes, Capital, Corrientes

  • Sup. Total: 10.000 m2

  • Pavimento
  • Electricidad

Código de aviso: 103941-6106351

Contactá al anunciante

Alfredo Ramirez Inmobiliaria

37949