-
Terreno
-
632 m² Total
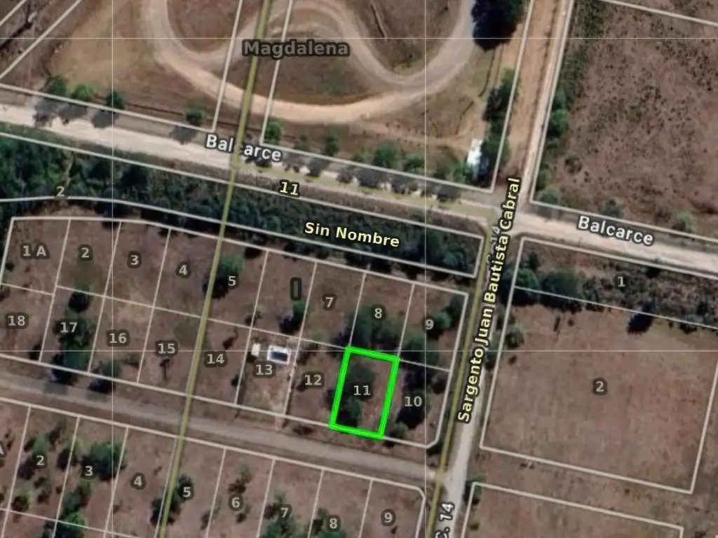
Terreno en venta - 632 mts2 - Magdalena
_ De medidas regulares, cuenta con 20mts de frente por 31,61mts de fondo, contabilizando una superficie total aproximada de 632 mts2.
_ Acceso por calle de tierra mejorada con servicio de electricidad en la zona.
Yacoub | Construimos Confianza
Innovación | Calidad | Sustentabilidad | Diseño
70 Mil Metros Cuadrados | 23 Torres
La información descripta en el presente aviso es meramente orientativa y no forma parte de ningún tipo de documentación contractual. Los datos enunciados fueron proporcionados por los propietarios y pueden arrojar inexactitudes, las superficies definitivas surgirán del título de propiedad del inmueble referido.
Se deja constancia de que los valores y/o expensas pueden estar sujetas a verificación o ajuste.
Lo que estás buscando lo tenemos | Estés Donde Estés
Vendemos en Todos Lados.
Ubicación
Magdalena, Partido de Magdalena, Interior Buenos Aires
Datos básicos
-
Precio: USD 30.000
Superficie
-
Sup. Total: 632 m2
Instalaciones del terreno
- Agua corriente
- Electricidad
- Luz eléctrica
Servicios del Terreno
- Agua corriente
- Electricidad
Código de aviso: PRO-1048462
Propiedades Similares
-
USD 25.000
Las Heras entre Rivadavia y San Martin
- 250 m² Total
-
USD 21.000
Gorriti entre San Martin y Brenan
- 700 m² Total
-
USD 35.000
RUTA 11 KM 40
- 1.044 m² Total
-
USD 30.000
domingo french , de la paz , jose maria formigo y de la amistad
- 1.809 m² Total