-
Terreno
-
369 m² Total
Venta Terreno en Pujato Norte
Corredor Responsable: Gerardo Portmann CCI MAT Nº 0472 -
Contacto: Sonia Caminos
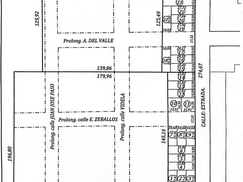
REMAX FORTALEZA VENTA DE TERRENO UBICADO EN PUJATO NORTE. \"AIRES DEL CAMPO 2\"
+ Individualizado: Lote 4
+ Medidas: 12,63 m de frente por 29,00 m de fondo.
+ Superficie total de 369m2.
+ El terreno esta ubicado en Colonia Pujato Norte en un barrio cerrado que esta recientemente desarrollado.
+ Esta urbanización cuenta con terrenos de medidas similares con un trazado totalmente de acuerdo a las exigencias reglamentarias. Cuenta con los servicios de luz, agua, alumbrado publico y ripio.
+ El terreno esta ubicado sobre la calle Raul Engler.
+ FINANCIACION: consultar
Todas las propiedades que figuran en mi perfil se encuentran a cargo del profesional matriculado de la oficina, la intermediación y la conclusión de las operaciones serán llevadas exclusivamente por él.
RAU S.R.L. no ejerce el corretaje inmobiliario. El presente sitio web es una plataforma en donde cada oficina inmobiliaria independiente que contrata los servicios RE/MAX puede publicar las propiedades a su cargo. Cada oficina es de propiedad y gestión independiente, por lo que RAU S.R.L. no interviene en los datos de la publicación, en la operación inmobiliaria, ni en la confección y/o firma del boleto de compraventa y/o escritura y/o contrato de alquiler. En cumplimiento de las leyes vigentes que regulan el corretaje inmobiliario, Ley Nacional 25.028, Ley 22.802 de Lealtad Comercial, Ley 24.240 de Defensa al Consumidor, las normas del Código Civil y Comercial de la Nación y Constitucionales, los agentes/gestores NO ejercen el corretaje inmobiliario. Todas las operaciones inmobiliarias son objeto de intermediación y conclusión por parte del corredor público inmobiliario colegiado a cargo de la publicación, cuyos datos se exhiben en la presente. La presente publicación describe las características esenciales del inmueble, debiéndose consultar al corredor público inmobiliario responsable de la operación por la eventual actualización de las medidas, descripciones arquitectónicas y funcionales, valores de expensas, servicios, impuestos, precios y demás información, cuyos valores son aproximados.
Contacto: Sonia Caminos
REMAX FORTALEZA VENTA DE TERRENO UBICADO EN PUJATO NORTE. \"AIRES DEL CAMPO 2\"
+ Individualizado: Lote 4
+ Medidas: 12,63 m de frente por 29,00 m de fondo.
+ Superficie total de 369m2.
+ El terreno esta ubicado en Colonia Pujato Norte en un barrio cerrado que esta recientemente desarrollado.
+ Esta urbanización cuenta con terrenos de medidas similares con un trazado totalmente de acuerdo a las exigencias reglamentarias. Cuenta con los servicios de luz, agua, alumbrado publico y ripio.
+ El terreno esta ubicado sobre la calle Raul Engler.
+ FINANCIACION: consultar
Todas las propiedades que figuran en mi perfil se encuentran a cargo del profesional matriculado de la oficina, la intermediación y la conclusión de las operaciones serán llevadas exclusivamente por él.
RAU S.R.L. no ejerce el corretaje inmobiliario. El presente sitio web es una plataforma en donde cada oficina inmobiliaria independiente que contrata los servicios RE/MAX puede publicar las propiedades a su cargo. Cada oficina es de propiedad y gestión independiente, por lo que RAU S.R.L. no interviene en los datos de la publicación, en la operación inmobiliaria, ni en la confección y/o firma del boleto de compraventa y/o escritura y/o contrato de alquiler. En cumplimiento de las leyes vigentes que regulan el corretaje inmobiliario, Ley Nacional 25.028, Ley 22.802 de Lealtad Comercial, Ley 24.240 de Defensa al Consumidor, las normas del Código Civil y Comercial de la Nación y Constitucionales, los agentes/gestores NO ejercen el corretaje inmobiliario. Todas las operaciones inmobiliarias son objeto de intermediación y conclusión por parte del corredor público inmobiliario colegiado a cargo de la publicación, cuyos datos se exhiben en la presente. La presente publicación describe las características esenciales del inmueble, debiéndose consultar al corredor público inmobiliario responsable de la operación por la eventual actualización de las medidas, descripciones arquitectónicas y funcionales, valores de expensas, servicios, impuestos, precios y demás información, cuyos valores son aproximados.
Ubicación
Esperanza, Las Colonias, Santa Fe
Datos básicos
-
Precio: USD 17.000
Superficie
-
Sup. Total: 369 m2
Código de aviso: AR.42.67.61.125