-
Terreno
-
2.293 m² Total
VENTA/FRACCIÓN DE TERRENO/LOTES MENSURADOS
Corredor Responsable: Joaquín Eguiazu CCI 859 -
Contacto: Erica Otterstedt
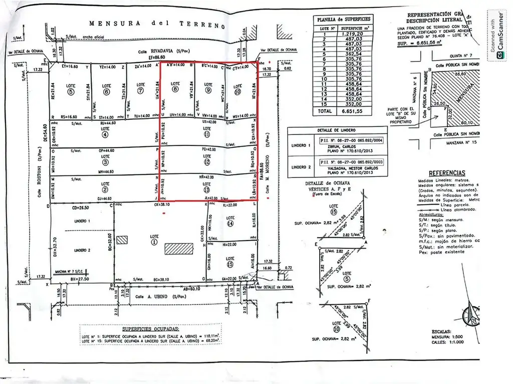
RE/MAX ofrece en venta una excelente fracción de terreno ubicada en la localidad de Susana, Santa Fe, con una superficie total de 2293 m² (42 m de frente x 86,60 m de fondo).
La propiedad se encuentra subdividida en 6 lotes, lo que la convierte en una oportunidad ideal para desarrollo inmobiliario o inversión:
Lotes 8, 9 y 10: Cada uno de 305,76 m², (14mx21,84m) con frente sobre calle Rivadavia (orientación norte).
Lotes 11,12 y 13: Cada uno de 458,64 m², (10,82mx42m) con frente sobre calle Moreno (orientación este).
La fracción se ubica en zona urbana de Susana frente a la Escuela, dentro de un barrio residencial en crecimiento, con excelente accesibilidad y conectividad hacia Rafaela.
Oportunidad adicional:
Posibilidad de anexar fracciones linderas encerrando una superficie total de 6651,55m2 totales, ampliando el potencial de desarrollo.
Lo que la hace especial:
Esquina estratégica en Rivadavia y Moreno.
Lotes subdivididos, listos para proyectos.
Orientación favorable y excelente ubicación.
Ideal para loteo, emprendimiento habitacional o inversión a futuro
RAU S.R.L. no ejerce el corretaje inmobiliario. El presente sitio web es una plataforma en donde cada oficina inmobiliaria independiente que contrata los servicios RE/MAX puede publicar las propiedades a su cargo. Cada oficina es de propiedad y gestión independiente, por lo que RAU S.R.L. no interviene en los datos de la publicación, en la operación inmobiliaria, ni en la confección y/o firma del boleto de compraventa y/o escritura y/o contrato de alquiler. En cumplimiento de las leyes vigentes que regulan el corretaje inmobiliario, Ley Nacional 25.028, Ley 22.802 de Lealtad Comercial, Ley 24.240 de Defensa al Consumidor, las normas del Código Civil y Comercial de la Nación y Constitucionales, los agentes/gestores NO ejercen el corretaje inmobiliario. Todas las operaciones inmobiliarias son objeto de intermediación y conclusión por parte del corredor público inmobiliario colegiado a cargo de la publicación, cuyos datos se exhiben en la presente. La presente publicación describe las características esenciales del inmueble, debiéndose consultar al corredor público inmobiliario responsable de la operación por la eventual actualización de las medidas, descripciones arquitectónicas y funcionales, valores de expensas, servicios, impuestos, precios y demás información, cuyos valores son aproximados.
Contacto: Erica Otterstedt
RE/MAX ofrece en venta una excelente fracción de terreno ubicada en la localidad de Susana, Santa Fe, con una superficie total de 2293 m² (42 m de frente x 86,60 m de fondo).
La propiedad se encuentra subdividida en 6 lotes, lo que la convierte en una oportunidad ideal para desarrollo inmobiliario o inversión:
Lotes 8, 9 y 10: Cada uno de 305,76 m², (14mx21,84m) con frente sobre calle Rivadavia (orientación norte).
Lotes 11,12 y 13: Cada uno de 458,64 m², (10,82mx42m) con frente sobre calle Moreno (orientación este).
La fracción se ubica en zona urbana de Susana frente a la Escuela, dentro de un barrio residencial en crecimiento, con excelente accesibilidad y conectividad hacia Rafaela.
Oportunidad adicional:
Posibilidad de anexar fracciones linderas encerrando una superficie total de 6651,55m2 totales, ampliando el potencial de desarrollo.
Lo que la hace especial:
Esquina estratégica en Rivadavia y Moreno.
Lotes subdivididos, listos para proyectos.
Orientación favorable y excelente ubicación.
Ideal para loteo, emprendimiento habitacional o inversión a futuro
RAU S.R.L. no ejerce el corretaje inmobiliario. El presente sitio web es una plataforma en donde cada oficina inmobiliaria independiente que contrata los servicios RE/MAX puede publicar las propiedades a su cargo. Cada oficina es de propiedad y gestión independiente, por lo que RAU S.R.L. no interviene en los datos de la publicación, en la operación inmobiliaria, ni en la confección y/o firma del boleto de compraventa y/o escritura y/o contrato de alquiler. En cumplimiento de las leyes vigentes que regulan el corretaje inmobiliario, Ley Nacional 25.028, Ley 22.802 de Lealtad Comercial, Ley 24.240 de Defensa al Consumidor, las normas del Código Civil y Comercial de la Nación y Constitucionales, los agentes/gestores NO ejercen el corretaje inmobiliario. Todas las operaciones inmobiliarias son objeto de intermediación y conclusión por parte del corredor público inmobiliario colegiado a cargo de la publicación, cuyos datos se exhiben en la presente. La presente publicación describe las características esenciales del inmueble, debiéndose consultar al corredor público inmobiliario responsable de la operación por la eventual actualización de las medidas, descripciones arquitectónicas y funcionales, valores de expensas, servicios, impuestos, precios y demás información, cuyos valores son aproximados.
Ubicación
Susana, Castellanos, Santa Fe
Datos básicos
-
Precio: USD 108.000
Superficie
-
Sup. Total: 2.293 m2
Código de aviso: AR.42.52.88.119.V10