VENTA - Fraccion sobre Ruta 18 km 6 - Piñero

USD 200.000

Venta en Piñero, Departamento de Rosario

USD 200.000

  • Terreno

    Terreno

  • 11.807 m² Total

    11.807 m² Total

  • 101 mts Frente

    101 mts Frente

  • 116 mts Fondo

    116 mts Fondo

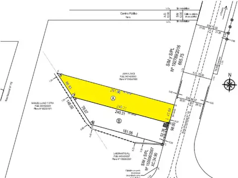
Terreno en venta sobre ruta 18 km 6

Nuevo Ingreso - Zona Industrial Lote A Próximo A012
LOTE B

Importante Fracción con 101 sobre Ruta 18. Superficie Total de 11.807m2



Ubicación

Piñero, Departamento de Rosario, Santa Fe

Características

  • Long. Frente: 101 m

  • Long. Fondo: 116 m

  • Precio: USD 200.000

  • Sup. Total: 11.807 m2

Código de aviso: PRO-1206606

Contactá al anunciante

Zorila Negocios Inmobiliarios