(1) (1)
  • Countries y Barrios Cerrados en Beccar

Venta

Terreno

Precio

Buscar solo avisos en moneda:

Dorm|Amb

Más filtros Más filtros

Características

Superficie total

Nombre de calle y altura

Tipo de urbanización

Fot

Servicios

Tipo de anunciante

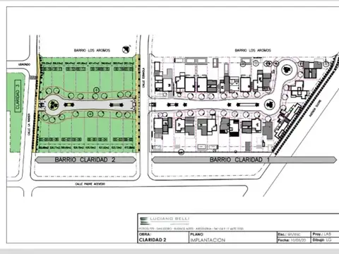
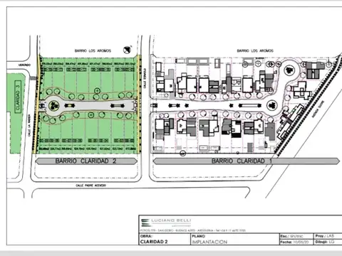
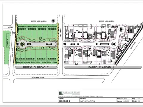
4 Terrenos en Venta en Countries y Barrios Cerrados en Beccar