(1) (1)
  • Guernica

Venta

Terreno

USD 65K-150K

Buscar solo avisos en moneda:

Dorm|Amb

Más filtros Más filtros

Características

Superficie total

Nombre de calle y altura

Tipo de urbanización

Fot

Servicios

Tipo de anunciante

31 Terrenos en Venta en Guernica

1/17
Visto

2

USD 95.000

Gustavo Leguizamón

Terreno en Venta en Guernica, Presidente Peron

Vinelli Inmobiliaria
  • 7.088 m² Total

Lote en venta en Chacras de San Vicente B° El Ministro

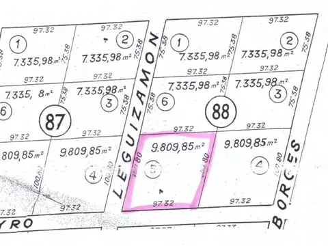
Importante fracción en venta en chacras de san vicente, barrio el ministro / vinelli, partido de presidente perón, guernica, prov. De bs. As. Ubicación: sobre la calle gustavo leguizamón esquina calle gutiérrez. Manzana 87, parcela: 2. Cuenta con alambrado perimetral olímpico. Mejoras: alambrado 7 hilos, entrada de cemento y tranquera de 3m, forestado perimetralmente con 400 casuarinas y 50 álamos piramidales, terreno nivelado, pozo / perforación para agua encamisado a 20m, riego perimetral instalado con caño de 1" con canillas cada 50m. Galpón: superficie de 15m2: de 3m x 5m con baño completo, pileta lavadero exterior, tanque de agua de 1000 litros y 2 pozos ciegos cloacales. Vivienda: superficie aprox. De: 50m2: cuenta con dos habitaciones de 3.50m x 2.50m, baño completo de 2m x 2m y estar, comedor y cocina de 5m x 7m. Datos catastrales: partido: 129 (presidente perón) circunscripción: 2 sección: a quinta: 87 parcela: 2. Ubicación en google maps: -34.97456,-58.41781 medidas: frente: 75,38m x 97,32m superficie: 7088m2 chacras de san vicente, también conocido como chacras de vinelli (desarrollo y loteo original del emprendimiento), es un barrio abierto de casas quintas emplazadas en amplias fracciones, ubicado a pocos minutos del centro de canning y de san vicente. De rápido acceso por la rp 58, rp 16 y la nueva extensión del camino del buen ayre. Precio de venta y condiciones de pago: pagaderos al contado y a la escrituración, títulos perfectos con sus tasas y contribuciones pagas al día de la escrituración escrituras por ante la escribanía de pedro antonio cafferata con domicilio en la calle bernardo de irigoyen 88 piso 3° k de caba todos los gastos de escrituración, sellados, estado parcelario y amojonamiento son a cargo del comprador. Las medidas son aproximadas, las reales y los datos consignados serán verificados contra el título de propiedad. La presente oferta de venta está condicionada a la confección del coti por parte del propietario. Servicios: cloacas otros servicios: vivienda, alambrado perimetral comercializan martilleros y corredores públicos: lic. Y mart. Matías vinelli, cucicba nº 2557 arq. Y mart. Federico vinelli, cmcpsi nº 6652

Contactar
1/4
Visto

2

USD 85.000

Gustavo Leguizamón

Terreno en Venta en Guernica, Presidente Peron

Vinelli Inmobiliaria
  • 9.478 m² Total

Lote en venta en Chacras de San Vicente B° El Ministro

Importante fracción en venta en chacras de san vicente, barrio el ministro, partido de presidente perón, guernica, prov. De bs. As. Ubicación: sobre la calle gustavo leguizamón, esquina calle payró. Manzana 88, parcela: 5. Cuenta con alambrado perimetral, tranquera, caños acceso vehicular, pequeño lago artificial y dos quinchos de paja. Datos catastrales: partido: 129 (presidente perón) circunscripción: 2 sección: a quinta: 88, parcela: 5. Ubicación: -34.97608,-58.41795 medidas: frente: 100,80m x 97,32m superficie: 9.478m2 chacras de san vicente, también conocido como chacras de vinelli (desarrollo y loteo original del emprendimiento), es un barrio abierto de casas quintas emplazadas en amplias fracciones, ubicado a pocos minutos del centro de canning y de san vicente. De rápido acceso por la rp 58, rp 16 y la nueva extensión del camino del buen ayre. Precio de venta y condiciones de pago: pagaderos al contado y a la escrituración, títulos perfectos con sus tasas y contribuciones pagas al día de la escrituración escrituras por ante la escribanía de pedro antonio cafferata con domicilio en la calle bernardo de irigoyen 88 piso 3° k de caba todos los gastos de escrituración, sellados, estado parcelario y amojonamiento son a cargo del comprador. Las medidas son aproximadas, las reales y los datos consignados serán verificados contra el título de propiedad. La presente oferta de venta está condicionada a la confección del coti por parte del propietario. Otros servicios: alambrado perimetral

Contactar
1/5
Visto

1

USD 75.000

Barrio Privado El Rebenque

Terreno en Venta en Guernica, Presidente Peron

  • 828 m² Total
  • Bueno

LOTE en VENTA en Barrio Privado El Rebenque - Canning

Lotes en venta en barrio privado el rebenque - canning excelente ubicación dentro del barrio, cerca de la entrada y a muy buen precio de venta acerca del barrio: - servicios: redes subterraneas (electricidad, gas, teléfono, internet, agua corriente y cloacas), cordón cuneta y calles asfaltadas, senda peatonal central, senda perimetral de seguridad. - Amenities: 5 canchas de tenis (3 de polvo de ladrillo, 2 rápidas), cancha de fútbol 11, hockey y voley, club house con pileta para adultos y niños, pileta cubierta climatizada, spa y sauna, gimnasio, jacuzzi, sum para fiestas y reuniones en área deportiva, senda aeróbica, 3 plazas de juegos para niños. Notas: operación directa. La información y las medidas mencionadas son aproximadas y deberán ser corroboradas con la documentación correspondiente. Este aviso no representa un compromiso contractual por parte de aracama propiedades. Los gastos indicados (expensas, impuestos municipales e inmobiliarios, entre otros) se basan en los datos más recientes disponibles y están sujetos a verificación y actualización. Las imágenes son ilustrativas y no tienen carácter contractual. Adrian aracama i mat: 2059 cpmcl oficina canning | ?12 | avenida castex 499, piso 9, oficina 903-905, canning oficina monte grande | ?12 | hipolito yrigoyen 16, monte grande

Contactar