(1) (1)
  • La Ceramica Y Cuyo

Venta

Terreno

Precio

Buscar solo avisos en moneda:

Dorm|Amb

Más filtros Más filtros

Superficie total

Nombre de calle y altura

Tipo de urbanización

Fot

Tipo de anunciante

1 Terrenos en Venta en La Ceramica Y Cuyo

1/4
Visto

0

USD 75.000

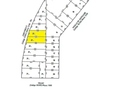
Juan Pablo II Bis 3100

Terreno en Venta en La Ceramica Y Cuyo, Departamento de Rosario

REMAX Exclusivo
  • 516 m² Total
  • Excelente

LOTE EN VENTA EN BARRIO LOMAS DE ALBERDI

Corredor responsable: sebastian pellegrini ci mat n° 571 - contacto: diego casas venta - dos lotes ubicados sobre colectora de av. Circunvalación, en juan pablo ii y salvat. Se venden juntos. La superficie de ambos lotes es de 516 m2. Excelente ubicación, con fácil acceso a av. Circunvalación. Rau s.R.L. No ejerce el corretaje inmobiliario. El presente sitio web es una plataforma en donde cada oficina inmobiliaria independiente que contrata los servicios re/max puede publicar las propiedades a su cargo. Cada oficina es de propiedad y gestión independiente, por lo que rau s.R.L. No interviene en los datos de la publicación, en la operación inmobiliaria, ni en la confección y/o firma del boleto de compraventa y/o escritura y/o contrato de alquiler. En cumplimiento de las leyes vigentes que regulan el corretaje inmobiliario, ley nacional 25.028, ley 22.802 de lealtad comercial, ley 24.240 de defensa al consumidor, las normas del código civil y comercial de la nación y constitucionales, los agentes/gestores no ejercen el corretaje inmobiliario. Todas las operaciones inmobiliarias son objeto de intermediación y conclusión por parte del corredor público inmobiliario colegiado a cargo de la publicación, cuyos datos se exhiben en la presente. La presente publicación describe las características esenciales del inmueble, debiéndose consultar al corredor público inmobiliario responsable de la operación por la eventual actualización de las medidas, descripciones arquitectónicas y funcionales, valores de expensas, servicios, impuestos, precios y demás información, cuyos valores son aproximados.

Contactar