(1) (1)
  • Republica De La Sexta

Venta

Terreno

Precio

Buscar solo avisos en moneda:

Dorm|Amb

Más filtros Más filtros

Características

Superficie total

Nombre de calle y altura

Tipo de urbanización

Fot

Servicios

Tipo de anunciante

43 Terrenos en Venta en Republica De La Sexta

1/4
Visto

10

Consultar precio

Leandro N. Alem 2200

Terreno en Venta en Republica De La Sexta, Rosario

CONCINA PROPIEDADES
  • terren.
  • 318 m² Total
  • 20,43 mts Frente

TERRENO EN VENTA, DE GRANDES DIMENSIONES. IDEAL CONTRUCTORORA, SE ACEPTA DINERO DE CONTADO O M2

Terreno en republica de la sexta- 10 pisos - opcion canje- se escuchan ofertas descripción del lote/terreno en venta: ubicación: república de la sexta se encuentra en el oeste de la ciudad de rosario, cerca del centro pero conservando una atmósfera residencial. Ideal para familias y estudiantes universitarios debido a su proximidad con instituciones educativas como la universidad nacional de rosario y la universidad tecnológica nacional. La zona también es conocida por su oferta gastronómica y comercial diversa. La propiedad se encuentra ubicada sobre calle alem, entre calles la paz y cerrito. Posee cercanía a bv 27 de febrero, club atlético temperley y colegio verbo encarnado. Características del terreno: - ideal para constructoras e inversores interesados en desarrollo urbanístico inmobiliario. - Apto para desarrollo urbanístico con excelente altura. - Posibilidad de construir un edificio en altura de 10 pisos. - Medidas del lote: 20,43 metros de frente x 17 metros de fondo, con una superficie total de 318m2. - Normativa vigente permite planta baja y diez (10) pisos, con altura máxima de 30,50 metros. - Informe urbanístico vigente disponible. - Se considera la posibilidad de canje en metros cuadrados (m2) terminados como parte de pago. Este lote/terreno ofrece una oportunidad atractiva para el desarrollo de un proyecto inmobiliario en una ubicación estratégica, cercana a importantes puntos de interés. Si necesitas más detalles o información adicional, consultanos

Contactar
1/16
Visto

1

Consultar precio

1 de Mayo al 2000

Terreno en Venta en Republica De La Sexta, Rosario

Pastore Inmobiliaria
  • 2.150 m² Total
  • 34 mts Frente
  • 82 mts Fondo

Gran lote sobre 1ero de Mayo y Cerrito ideal para construir

Galpon de cocheras + local comercialideal para construcción o cualquier desarrollo 1 de mayo 2060 ubicación: macrocentro de la ciudad de rosario, en barrio rep. De la sexta. A 3 cuadras de av. Pellegrini y 5 de av. 27 de febrero. Tipología: lote de 2150 m2 - gran galpon, antiguamente papelera industrial, restaurado y convertido en parking y local comercial al frente. Galpon/parking: galpón de 1750 m2, con espacio para 90 vehículos. Zona techada y zona descubierta. Sector de lavadero industrial, con bombas de presión. Además, cuenta con oficinas administrativas en la segunda planta. Local comercial: local comercial ideal para desarrollo gastronomico. Cuenta con 2 plantas: en la planta baja se encuentra la cocina, una barra y los 3 baños; en la planta alta, amplio espacio + parrillero. Detalles: ideal para inversion de construcción. Según ordenanzas municipales, el terreno esta apto para construccion de un edificio de 10 pisos. Se establecen criterios de máxima edificabilidad y con la previsión de patios mínimos reglamentarios que hagan factibles la concreción de los futuros proyectos. Sobre las cocheras ubicadas en planta baja se presume la construcción de áreas comunes (amenities, pileta, etc.), Planteándose para los mismos la máxima superficie hasta alcanzar el fos máximo permitido por la ordenanza. Superficies: - superficie total del terreno: 2150 m2 - superficie cubierta: local: 300 m2 galpón: 1750 m2 etapa del inmueble: se encuentra alquilado con las habilitaciones correspondientes vigentes al día. Observaciones: acepta permuta, previa evaluacion. Financiacón: consultar.

Contactar
1/3
Visto

1

USD 79.900

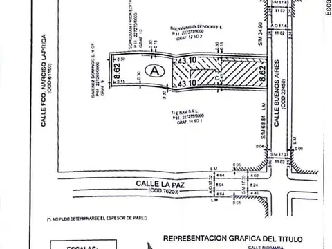
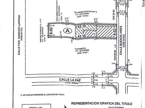
LA PAZ 45 bis

Terreno en Venta en Republica De La Sexta, Rosario

expertias
  • 269 m² Total
  • 8 mts Frente
  • 31 mts Fondo

Se vende Terreno en Republica de la Sexta ( PB 6)

Lote profundo con vivienda existente a reciclar o demoler, apto desarrollo. Propiedad desarrollada íntegramente en planta baja, implantada sobre terreno con importante patio posterior. Características: frente con acceso independiente y cochera cubierta vivienda existente con ambientes definidos lote profundo con gran superficie libre al contrafrente muros perimetrales consolidados buena relación frentefondo entorno urbano consolidado potencial para proyecto residencial multifamiliar o vivienda unifamiliar ampliada actualmente se ofrece con casa a reciclar, aunque su valor principal está dado por las dimensiones del terreno y posibilidades constructivas. Oportunidad para desarrolladores o inversores que busquen lote con estructura existente en zona urbana establecida. Consultanos para información técnica y coordinación de visita. Altura permitida: posibilidad de construir planta baja + 6 pisos. Ubicación estratégica: a solo 300 metros de la intersección riobamba y berutti, en las inmediaciones del ingreso a la siberia (cur - ciudad universitaria de rosario). Orientación: norte-sur. Plano de mensura: regularizado. Modalidad de pago: se aceptan metros cuadrados en parte de pago hasta un 50% del valor total. Este terreno es ideal para desarrollos inmobiliarios en una zona de alto flujo estudiantil y crecimiento urbano. No dejes pasar esta oportunidad! La presente publicación describe las características esenciales del inmueble, debiéndose consultar al corredor público inmobiliario responsable de la operación por la eventual actualización de las medidas, descripciones arquitectónicas y funcionales, valores de expensas, servicios, impuestos, precios y demás información, cuyos valores son aproximados.

Contactar