(1) (1)
  • San Patricio del Chañar

Venta

Terreno

Precio

Buscar solo avisos en moneda:

Dorm|Amb

Más filtros Más filtros

Características

Superficie total

Nombre de calle y altura

Tipo de urbanización

Fot

Servicios

Tipo de anunciante

44 Terrenos en Venta en San Patricio del Chañar

1/8
Visto

0

USD 671.850

Ruta Provincial 100

Terreno en Venta en San Patricio Del Chañar, Añelo

REMAX Sinergia
  • 4.479 m² Total

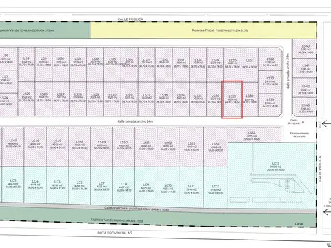
NODO LAS CORTADERAS | LOTE LC9

Corredor responsable: sebastian bonifacio n° 543 - contacto: carlos di modugno nodo las cortaderas | desarrollo estratégico industrial y comercial en vaca muerta nodo las cortaderas se perfila como una inversión estratégica en la región de vaca muerta, ofreciendo 38 hectáreas de terreno con 800 metros de frente sobre la ruta provincial n°7. Diseñado para responder a las demandas crecientes de infraestructura en la zona, este desarrollo se enfoca en brindar espacios para logística, comercio y servicios en una ubicación privilegiada. * Superficie lote lc9* - lote: 4.479 m2 - frente: 50 mts - fondo: 89.60 mts * ubicación estratégica * a pocos minutos de los accesos principales, como añelo, rincón de los sauces, mendoza, buenos aires y neuquén, con conectividad optimizada para el crecimiento comercial e industrial. *Infraestructura completa* - servicios de electricidad - agua - cloacas - internet de alta velocidad (fibra óptica o starlink) - seguridad 24hs *sinergia con bodega* sinergia única con la bodega malma, que combina negocios, turismo y cultura en un solo espacio. *Plan de negocios adaptables* el plan de negocios de nodo las cortaderas está diseñado para diferentes perfiles de inversores, con proyecciones claras de rentabilidad que evolucionan en cada fase del proyecto. *Formas de pago * la oportunidad de inversión en nodo las cortaderas cuenta con opciones de pago adaptadas para asegurar la mejor experiencia para nuestros inversores. Aprovecha esta oportunidad de inversión en una zona de alto crecimiento y potencial. ¡Consulta más detalles y asegura tu participación en el desarrollo de vaca muerta! Cada oficina es de propiedad y gestión independiente. En cumplimiento de la ley 20.266 nacional, ley 2538 cmycpn de la provincia de neuquén, ley 22.802 de lealtad comercial, ley 24.240 de defensa al consumidor, las normas del código civil y comercial de la nación y constitucionales, los agentes no ejercen el corretaje inmobiliario. Todas las operaciones inmobiliarias son concluidas por los martilleros y corredores colegiados, cuyos datos se exhiben debajo del nombre de la inmobiliaria. La presente publicación describe las características esenciales del inmueble, debiéndose consultar al corredor público inmobiliario responsable de la operación por la eventual actualización de las medidas, descripciones arquitectónicas y funcionales, valores de expensas, servicios, impuestos, precios y demás información, cuyos valores son aproximados. Rau s.R.L. No ejerce el corretaje inmobiliario. El presente sitio web es una plataforma en donde cada oficina inmobiliaria independiente que contrata los servicios re/max puede publicar las propiedades a su cargo. Cada oficina es de propiedad y gestión independiente, por lo que rau s.R.L. No interviene en los datos de la publicación, en la operación inmobiliaria, ni en la confección y/o firma del boleto de compraventa y/o escritura y/o contrato de alquiler. En cumplimiento de las leyes vigentes que regulan el corretaje inmobiliario, ley nacional 25.028, ley 22.802 de lealtad comercial, ley 24.240 de defensa al consumidor, las normas del código civil y comercial de la nación y constitucionales, los agentes/gestores no ejercen el corretaje inmobiliario. Todas las operaciones inmobiliarias son objeto de intermediación y conclusión por parte del corredor público inmobiliario colegiado a cargo de la publicación, cuyos datos se exhiben en la presente. La presente publicación describe las características esenciales del inmueble, debiéndose consultar al corredor público inmobiliario responsable de la operación por la eventual actualización de las medidas, descripciones arquitectónicas y funcionales, valores de expensas, servicios, impuestos, precios y demás información, cuyos valores son aproximados.

Contactar
1/8
Visto

0

USD 367.024

Ruta Provincial 100

Terreno en Venta en San Patricio Del Chañar, Añelo

REMAX Sinergia
  • 3.248 m² Total

NODO LAS CORTADERAS | LOTE LS3

Corredor responsable: sebastian bonifacio n° 543 - contacto: carlos di modugno nodo las cortaderas | desarrollo estratégico industrial y comercial en vaca muerta nodo las cortaderas se perfila como una inversión estratégica en la región de vaca muerta, ofreciendo 38 hectáreas de terreno con 800 metros de frente sobre la ruta provincial n°7. Diseñado para responder a las demandas crecientes de infraestructura en la zona, este desarrollo se enfoca en brindar espacios para logística, comercio y servicios en una ubicación privilegiada. * Superficie lote ls3* - lote: 3248 m2 - frente: 40.10 mts - fondo: 81 mts * ubicación estratégica * a pocos minutos de los accesos principales, como añelo, rincón de los sauces, mendoza, buenos aires y neuquén, con conectividad optimizada para el crecimiento comercial e industrial. *Infraestructura completa* - servicios de electricidad - agua - cloacas - internet de alta velocidad (fibra óptica o starlink) - seguridad 24hs *sinergia con bodega* sinergia única con la bodega malma, que combina negocios, turismo y cultura en un solo espacio. *Plan de negocios adaptables* el plan de negocios de nodo las cortaderas está diseñado para diferentes perfiles de inversores, con proyecciones claras de rentabilidad que evolucionan en cada fase del proyecto. *Formas de pago * la oportunidad de inversión en nodo las cortaderas cuenta con opciones de pago adaptadas para asegurar la mejor experiencia para nuestros inversores. Aprovecha esta oportunidad de inversión en una zona de alto crecimiento y potencial. ¡Consulta más detalles y asegura tu participación en el desarrollo de vaca muerta! Cada oficina es de propiedad y gestión independiente. En cumplimiento de la ley 20.266 nacional, ley 2538 cmycpn de la provincia de neuquén, ley 22.802 de lealtad comercial, ley 24.240 de defensa al consumidor, las normas del código civil y comercial de la nación y constitucionales, los agentes no ejercen el corretaje inmobiliario. Todas las operaciones inmobiliarias son concluidas por los martilleros y corredores colegiados, cuyos datos se exhiben debajo del nombre de la inmobiliaria. La presente publicación describe las características esenciales del inmueble, debiéndose consultar al corredor público inmobiliario responsable de la operación por la eventual actualización de las medidas, descripciones arquitectónicas y funcionales, valores de expensas, servicios, impuestos, precios y demás información, cuyos valores son aproximados. Rau s.R.L. No ejerce el corretaje inmobiliario. El presente sitio web es una plataforma en donde cada oficina inmobiliaria independiente que contrata los servicios re/max puede publicar las propiedades a su cargo. Cada oficina es de propiedad y gestión independiente, por lo que rau s.R.L. No interviene en los datos de la publicación, en la operación inmobiliaria, ni en la confección y/o firma del boleto de compraventa y/o escritura y/o contrato de alquiler. En cumplimiento de las leyes vigentes que regulan el corretaje inmobiliario, ley nacional 25.028, ley 22.802 de lealtad comercial, ley 24.240 de defensa al consumidor, las normas del código civil y comercial de la nación y constitucionales, los agentes/gestores no ejercen el corretaje inmobiliario. Todas las operaciones inmobiliarias son objeto de intermediación y conclusión por parte del corredor público inmobiliario colegiado a cargo de la publicación, cuyos datos se exhiben en la presente. La presente publicación describe las características esenciales del inmueble, debiéndose consultar al corredor público inmobiliario responsable de la operación por la eventual actualización de las medidas, descripciones arquitectónicas y funcionales, valores de expensas, servicios, impuestos, precios y demás información, cuyos valores son aproximados.

Contactar
1/8
Visto

0

USD 336.062

Ruta Provincial 100

Terreno en Venta en San Patricio Del Chañar, Añelo

REMAX Sinergia
  • 2.974 m² Total

NODO LAS CORTADERAS | LOTE LS6

Corredor responsable: sebastian bonifacio n° 543 - contacto: carlos di modugno nodo las cortaderas | desarrollo estratégico industrial y comercial en vaca muerta nodo las cortaderas se perfila como una inversión estratégica en la región de vaca muerta, ofreciendo 38 hectáreas de terreno con 800 metros de frente sobre la ruta provincial n°7. Diseñado para responder a las demandas crecientes de infraestructura en la zona, este desarrollo se enfoca en brindar espacios para logística, comercio y servicios en una ubicación privilegiada. * Superficie lote ls6* - lote: 2974 m2 - frente: 52.20 mts - fondo: 58 mts * ubicación estratégica * a pocos minutos de los accesos principales, como añelo, rincón de los sauces, mendoza, buenos aires y neuquén, con conectividad optimizada para el crecimiento comercial e industrial. *Infraestructura completa* - servicios de electricidad - agua - cloacas - internet de alta velocidad (fibra óptica o starlink) - seguridad 24hs *sinergia con bodega* sinergia única con la bodega malma, que combina negocios, turismo y cultura en un solo espacio. *Plan de negocios adaptables* el plan de negocios de nodo las cortaderas está diseñado para diferentes perfiles de inversores, con proyecciones claras de rentabilidad que evolucionan en cada fase del proyecto. *Formas de pago * la oportunidad de inversión en nodo las cortaderas cuenta con opciones de pago adaptadas para asegurar la mejor experiencia para nuestros inversores. Aprovecha esta oportunidad de inversión en una zona de alto crecimiento y potencial. ¡Consulta más detalles y asegura tu participación en el desarrollo de vaca muerta! Cada oficina es de propiedad y gestión independiente. En cumplimiento de la ley 20.266 nacional, ley 2538 cmycpn de la provincia de neuquén, ley 22.802 de lealtad comercial, ley 24.240 de defensa al consumidor, las normas del código civil y comercial de la nación y constitucionales, los agentes no ejercen el corretaje inmobiliario. Todas las operaciones inmobiliarias son concluidas por los martilleros y corredores colegiados, cuyos datos se exhiben debajo del nombre de la inmobiliaria. La presente publicación describe las características esenciales del inmueble, debiéndose consultar al corredor público inmobiliario responsable de la operación por la eventual actualización de las medidas, descripciones arquitectónicas y funcionales, valores de expensas, servicios, impuestos, precios y demás información, cuyos valores son aproximados. Rau s.R.L. No ejerce el corretaje inmobiliario. El presente sitio web es una plataforma en donde cada oficina inmobiliaria independiente que contrata los servicios re/max puede publicar las propiedades a su cargo. Cada oficina es de propiedad y gestión independiente, por lo que rau s.R.L. No interviene en los datos de la publicación, en la operación inmobiliaria, ni en la confección y/o firma del boleto de compraventa y/o escritura y/o contrato de alquiler. En cumplimiento de las leyes vigentes que regulan el corretaje inmobiliario, ley nacional 25.028, ley 22.802 de lealtad comercial, ley 24.240 de defensa al consumidor, las normas del código civil y comercial de la nación y constitucionales, los agentes/gestores no ejercen el corretaje inmobiliario. Todas las operaciones inmobiliarias son objeto de intermediación y conclusión por parte del corredor público inmobiliario colegiado a cargo de la publicación, cuyos datos se exhiben en la presente. La presente publicación describe las características esenciales del inmueble, debiéndose consultar al corredor público inmobiliario responsable de la operación por la eventual actualización de las medidas, descripciones arquitectónicas y funcionales, valores de expensas, servicios, impuestos, precios y demás información, cuyos valores son aproximados.

Contactar
1/8
Visto

0

USD 342.277

Ruta Provincial 100

Terreno en Venta en San Patricio Del Chañar, Añelo

REMAX Sinergia
  • 3.029 m² Total

NODO LAS CORTADERAS | LOTE LS8

Corredor responsable: sebastian bonifacio n° 543 - contacto: carlos di modugno nodo las cortaderas | desarrollo estratégico industrial y comercial en vaca muerta nodo las cortaderas se perfila como una inversión estratégica en la región de vaca muerta, ofreciendo 38 hectáreas de terreno con 800 metros de frente sobre la ruta provincial n°7. Diseñado para responder a las demandas crecientes de infraestructura en la zona, este desarrollo se enfoca en brindar espacios para logística, comercio y servicios en una ubicación privilegiada. * Superficie lote ls8* - lote: 3029 m2 - frente: 38.70 mts - fondo: 78 mts * ubicación estratégica * a pocos minutos de los accesos principales, como añelo, rincón de los sauces, mendoza, buenos aires y neuquén, con conectividad optimizada para el crecimiento comercial e industrial. *Infraestructura completa* - servicios de electricidad - agua - cloacas - internet de alta velocidad (fibra óptica o starlink) - seguridad 24hs *sinergia con bodega* sinergia única con la bodega malma, que combina negocios, turismo y cultura en un solo espacio. *Plan de negocios adaptables* el plan de negocios de nodo las cortaderas está diseñado para diferentes perfiles de inversores, con proyecciones claras de rentabilidad que evolucionan en cada fase del proyecto. *Formas de pago * la oportunidad de inversión en nodo las cortaderas cuenta con opciones de pago adaptadas para asegurar la mejor experiencia para nuestros inversores. Aprovecha esta oportunidad de inversión en una zona de alto crecimiento y potencial. ¡Consulta más detalles y asegura tu participación en el desarrollo de vaca muerta! Cada oficina es de propiedad y gestión independiente. En cumplimiento de la ley 20.266 nacional, ley 2538 cmycpn de la provincia de neuquén, ley 22.802 de lealtad comercial, ley 24.240 de defensa al consumidor, las normas del código civil y comercial de la nación y constitucionales, los agentes no ejercen el corretaje inmobiliario. Todas las operaciones inmobiliarias son concluidas por los martilleros y corredores colegiados, cuyos datos se exhiben debajo del nombre de la inmobiliaria. La presente publicación describe las características esenciales del inmueble, debiéndose consultar al corredor público inmobiliario responsable de la operación por la eventual actualización de las medidas, descripciones arquitectónicas y funcionales, valores de expensas, servicios, impuestos, precios y demás información, cuyos valores son aproximados. Rau s.R.L. No ejerce el corretaje inmobiliario. El presente sitio web es una plataforma en donde cada oficina inmobiliaria independiente que contrata los servicios re/max puede publicar las propiedades a su cargo. Cada oficina es de propiedad y gestión independiente, por lo que rau s.R.L. No interviene en los datos de la publicación, en la operación inmobiliaria, ni en la confección y/o firma del boleto de compraventa y/o escritura y/o contrato de alquiler. En cumplimiento de las leyes vigentes que regulan el corretaje inmobiliario, ley nacional 25.028, ley 22.802 de lealtad comercial, ley 24.240 de defensa al consumidor, las normas del código civil y comercial de la nación y constitucionales, los agentes/gestores no ejercen el corretaje inmobiliario. Todas las operaciones inmobiliarias son objeto de intermediación y conclusión por parte del corredor público inmobiliario colegiado a cargo de la publicación, cuyos datos se exhiben en la presente. La presente publicación describe las características esenciales del inmueble, debiéndose consultar al corredor público inmobiliario responsable de la operación por la eventual actualización de las medidas, descripciones arquitectónicas y funcionales, valores de expensas, servicios, impuestos, precios y demás información, cuyos valores son aproximados.

Contactar
1/8
Visto

0

USD 342.277

Ruta Provincial 100

Terreno en Venta en San Patricio Del Chañar, Añelo

REMAX Sinergia
  • 3.029 m² Total

NODO LAS CORTADERAS | LOTE LS10

Corredor responsable: sebastian bonifacio n° 543 - contacto: carlos di modugno nodo las cortaderas | desarrollo estratégico industrial y comercial en vaca muerta nodo las cortaderas se perfila como una inversión estratégica en la región de vaca muerta, ofreciendo 38 hectáreas de terreno con 800 metros de frente sobre la ruta provincial n°7. Diseñado para responder a las demandas crecientes de infraestructura en la zona, este desarrollo se enfoca en brindar espacios para logística, comercio y servicios en una ubicación privilegiada. * Superficie lote ls10* - lote: 3029 m2 - frente: 38.70 mts - fondo: 78 mts * ubicación estratégica * a pocos minutos de los accesos principales, como añelo, rincón de los sauces, mendoza, buenos aires y neuquén, con conectividad optimizada para el crecimiento comercial e industrial. *Infraestructura completa* - servicios de electricidad - agua - cloacas - internet de alta velocidad (fibra óptica o starlink) - seguridad 24hs *sinergia con bodega* sinergia única con la bodega malma, que combina negocios, turismo y cultura en un solo espacio. *Plan de negocios adaptables* el plan de negocios de nodo las cortaderas está diseñado para diferentes perfiles de inversores, con proyecciones claras de rentabilidad que evolucionan en cada fase del proyecto. *Formas de pago * la oportunidad de inversión en nodo las cortaderas cuenta con opciones de pago adaptadas para asegurar la mejor experiencia para nuestros inversores. Aprovecha esta oportunidad de inversión en una zona de alto crecimiento y potencial. ¡Consulta más detalles y asegura tu participación en el desarrollo de vaca muerta! Cada oficina es de propiedad y gestión independiente. En cumplimiento de la ley 20.266 nacional, ley 2538 cmycpn de la provincia de neuquén, ley 22.802 de lealtad comercial, ley 24.240 de defensa al consumidor, las normas del código civil y comercial de la nación y constitucionales, los agentes no ejercen el corretaje inmobiliario. Todas las operaciones inmobiliarias son concluidas por los martilleros y corredores colegiados, cuyos datos se exhiben debajo del nombre de la inmobiliaria. La presente publicación describe las características esenciales del inmueble, debiéndose consultar al corredor público inmobiliario responsable de la operación por la eventual actualización de las medidas, descripciones arquitectónicas y funcionales, valores de expensas, servicios, impuestos, precios y demás información, cuyos valores son aproximados. Rau s.R.L. No ejerce el corretaje inmobiliario. El presente sitio web es una plataforma en donde cada oficina inmobiliaria independiente que contrata los servicios re/max puede publicar las propiedades a su cargo. Cada oficina es de propiedad y gestión independiente, por lo que rau s.R.L. No interviene en los datos de la publicación, en la operación inmobiliaria, ni en la confección y/o firma del boleto de compraventa y/o escritura y/o contrato de alquiler. En cumplimiento de las leyes vigentes que regulan el corretaje inmobiliario, ley nacional 25.028, ley 22.802 de lealtad comercial, ley 24.240 de defensa al consumidor, las normas del código civil y comercial de la nación y constitucionales, los agentes/gestores no ejercen el corretaje inmobiliario. Todas las operaciones inmobiliarias son objeto de intermediación y conclusión por parte del corredor público inmobiliario colegiado a cargo de la publicación, cuyos datos se exhiben en la presente. La presente publicación describe las características esenciales del inmueble, debiéndose consultar al corredor público inmobiliario responsable de la operación por la eventual actualización de las medidas, descripciones arquitectónicas y funcionales, valores de expensas, servicios, impuestos, precios y demás información, cuyos valores son aproximados.

Contactar
1/8
Visto

0

USD 342.277

Ruta Provincial 100

Terreno en Venta en San Patricio Del Chañar, Añelo

REMAX Sinergia
  • 3.029 m² Total

NODO LAS CORTADERAS | LOTE LS15

Corredor responsable: sebastian bonifacio n° 543 - contacto: carlos di modugno nodo las cortaderas | desarrollo estratégico industrial y comercial en vaca muerta nodo las cortaderas se perfila como una inversión estratégica en la región de vaca muerta, ofreciendo 38 hectáreas de terreno con 800 metros de frente sobre la ruta provincial n°7. Diseñado para responder a las demandas crecientes de infraestructura en la zona, este desarrollo se enfoca en brindar espacios para logística, comercio y servicios en una ubicación privilegiada. * Superficie lote ls15* - lote: 3029 m2 - frente: 38.70 mts - fondo: 78 mts * ubicación estratégica * a pocos minutos de los accesos principales, como añelo, rincón de los sauces, mendoza, buenos aires y neuquén, con conectividad optimizada para el crecimiento comercial e industrial. *Infraestructura completa* - servicios de electricidad - agua - cloacas - internet de alta velocidad (fibra óptica o starlink) - seguridad 24hs *sinergia con bodega* sinergia única con la bodega malma, que combina negocios, turismo y cultura en un solo espacio. *Plan de negocios adaptables* el plan de negocios de nodo las cortaderas está diseñado para diferentes perfiles de inversores, con proyecciones claras de rentabilidad que evolucionan en cada fase del proyecto. *Formas de pago * la oportunidad de inversión en nodo las cortaderas cuenta con opciones de pago adaptadas para asegurar la mejor experiencia para nuestros inversores. Aprovecha esta oportunidad de inversión en una zona de alto crecimiento y potencial. ¡Consulta más detalles y asegura tu participación en el desarrollo de vaca muerta! Cada oficina es de propiedad y gestión independiente. En cumplimiento de la ley 20.266 nacional, ley 2538 cmycpn de la provincia de neuquén, ley 22.802 de lealtad comercial, ley 24.240 de defensa al consumidor, las normas del código civil y comercial de la nación y constitucionales, los agentes no ejercen el corretaje inmobiliario. Todas las operaciones inmobiliarias son concluidas por los martilleros y corredores colegiados, cuyos datos se exhiben debajo del nombre de la inmobiliaria. La presente publicación describe las características esenciales del inmueble, debiéndose consultar al corredor público inmobiliario responsable de la operación por la eventual actualización de las medidas, descripciones arquitectónicas y funcionales, valores de expensas, servicios, impuestos, precios y demás información, cuyos valores son aproximados. Rau s.R.L. No ejerce el corretaje inmobiliario. El presente sitio web es una plataforma en donde cada oficina inmobiliaria independiente que contrata los servicios re/max puede publicar las propiedades a su cargo. Cada oficina es de propiedad y gestión independiente, por lo que rau s.R.L. No interviene en los datos de la publicación, en la operación inmobiliaria, ni en la confección y/o firma del boleto de compraventa y/o escritura y/o contrato de alquiler. En cumplimiento de las leyes vigentes que regulan el corretaje inmobiliario, ley nacional 25.028, ley 22.802 de lealtad comercial, ley 24.240 de defensa al consumidor, las normas del código civil y comercial de la nación y constitucionales, los agentes/gestores no ejercen el corretaje inmobiliario. Todas las operaciones inmobiliarias son objeto de intermediación y conclusión por parte del corredor público inmobiliario colegiado a cargo de la publicación, cuyos datos se exhiben en la presente. La presente publicación describe las características esenciales del inmueble, debiéndose consultar al corredor público inmobiliario responsable de la operación por la eventual actualización de las medidas, descripciones arquitectónicas y funcionales, valores de expensas, servicios, impuestos, precios y demás información, cuyos valores son aproximados.

Contactar
1/8
Visto

0

USD 342.277

Ruta Provincial 100

Terreno en Venta en San Patricio Del Chañar, Añelo

REMAX Sinergia
  • 3.029 m² Total

NODO LAS CORTADERAS | LOTE LS17

Corredor responsable: sebastian bonifacio n° 543 - contacto: carlos di modugno nodo las cortaderas | desarrollo estratégico industrial y comercial en vaca muerta nodo las cortaderas se perfila como una inversión estratégica en la región de vaca muerta, ofreciendo 38 hectáreas de terreno con 800 metros de frente sobre la ruta provincial n°7. Diseñado para responder a las demandas crecientes de infraestructura en la zona, este desarrollo se enfoca en brindar espacios para logística, comercio y servicios en una ubicación privilegiada. * Superficie lote ls17* - lote: 3029 m2 - frente: 38.70 mts - fondo: 78 mts * ubicación estratégica * a pocos minutos de los accesos principales, como añelo, rincón de los sauces, mendoza, buenos aires y neuquén, con conectividad optimizada para el crecimiento comercial e industrial. *Infraestructura completa* - servicios de electricidad - agua - cloacas - internet de alta velocidad (fibra óptica o starlink) - seguridad 24hs *sinergia con bodega* sinergia única con la bodega malma, que combina negocios, turismo y cultura en un solo espacio. *Plan de negocios adaptables* el plan de negocios de nodo las cortaderas está diseñado para diferentes perfiles de inversores, con proyecciones claras de rentabilidad que evolucionan en cada fase del proyecto. *Formas de pago * la oportunidad de inversión en nodo las cortaderas cuenta con opciones de pago adaptadas para asegurar la mejor experiencia para nuestros inversores. Aprovecha esta oportunidad de inversión en una zona de alto crecimiento y potencial. ¡Consulta más detalles y asegura tu participación en el desarrollo de vaca muerta! Cada oficina es de propiedad y gestión independiente. En cumplimiento de la ley 20.266 nacional, ley 2538 cmycpn de la provincia de neuquén, ley 22.802 de lealtad comercial, ley 24.240 de defensa al consumidor, las normas del código civil y comercial de la nación y constitucionales, los agentes no ejercen el corretaje inmobiliario. Todas las operaciones inmobiliarias son concluidas por los martilleros y corredores colegiados, cuyos datos se exhiben debajo del nombre de la inmobiliaria. La presente publicación describe las características esenciales del inmueble, debiéndose consultar al corredor público inmobiliario responsable de la operación por la eventual actualización de las medidas, descripciones arquitectónicas y funcionales, valores de expensas, servicios, impuestos, precios y demás información, cuyos valores son aproximados. Rau s.R.L. No ejerce el corretaje inmobiliario. El presente sitio web es una plataforma en donde cada oficina inmobiliaria independiente que contrata los servicios re/max puede publicar las propiedades a su cargo. Cada oficina es de propiedad y gestión independiente, por lo que rau s.R.L. No interviene en los datos de la publicación, en la operación inmobiliaria, ni en la confección y/o firma del boleto de compraventa y/o escritura y/o contrato de alquiler. En cumplimiento de las leyes vigentes que regulan el corretaje inmobiliario, ley nacional 25.028, ley 22.802 de lealtad comercial, ley 24.240 de defensa al consumidor, las normas del código civil y comercial de la nación y constitucionales, los agentes/gestores no ejercen el corretaje inmobiliario. Todas las operaciones inmobiliarias son objeto de intermediación y conclusión por parte del corredor público inmobiliario colegiado a cargo de la publicación, cuyos datos se exhiben en la presente. La presente publicación describe las características esenciales del inmueble, debiéndose consultar al corredor público inmobiliario responsable de la operación por la eventual actualización de las medidas, descripciones arquitectónicas y funcionales, valores de expensas, servicios, impuestos, precios y demás información, cuyos valores son aproximados.

Contactar
1/8
Visto

0

USD 342.277

Ruta Provincial 100

Terreno en Venta en San Patricio Del Chañar, Añelo

REMAX Sinergia
  • 3.029 m² Total

NODO LAS CORTADERAS | LOTE LS19

Corredor responsable: sebastian bonifacio n° 543 - contacto: carlos di modugno nodo las cortaderas | desarrollo estratégico industrial y comercial en vaca muerta nodo las cortaderas se perfila como una inversión estratégica en la región de vaca muerta, ofreciendo 38 hectáreas de terreno con 800 metros de frente sobre la ruta provincial n°7. Diseñado para responder a las demandas crecientes de infraestructura en la zona, este desarrollo se enfoca en brindar espacios para logística, comercio y servicios en una ubicación privilegiada. * Superficie lote ls19* - lote: 3029 m2 - frente: 38.70 mts - fondo: 78 mts * ubicación estratégica * a pocos minutos de los accesos principales, como añelo, rincón de los sauces, mendoza, buenos aires y neuquén, con conectividad optimizada para el crecimiento comercial e industrial. *Infraestructura completa* - servicios de electricidad - agua - cloacas - internet de alta velocidad (fibra óptica o starlink) - seguridad 24hs *sinergia con bodega* sinergia única con la bodega malma, que combina negocios, turismo y cultura en un solo espacio. *Plan de negocios adaptables* el plan de negocios de nodo las cortaderas está diseñado para diferentes perfiles de inversores, con proyecciones claras de rentabilidad que evolucionan en cada fase del proyecto. *Formas de pago * la oportunidad de inversión en nodo las cortaderas cuenta con opciones de pago adaptadas para asegurar la mejor experiencia para nuestros inversores. Aprovecha esta oportunidad de inversión en una zona de alto crecimiento y potencial. ¡Consulta más detalles y asegura tu participación en el desarrollo de vaca muerta! Cada oficina es de propiedad y gestión independiente. En cumplimiento de la ley 20.266 nacional, ley 2538 cmycpn de la provincia de neuquén, ley 22.802 de lealtad comercial, ley 24.240 de defensa al consumidor, las normas del código civil y comercial de la nación y constitucionales, los agentes no ejercen el corretaje inmobiliario. Todas las operaciones inmobiliarias son concluidas por los martilleros y corredores colegiados, cuyos datos se exhiben debajo del nombre de la inmobiliaria. La presente publicación describe las características esenciales del inmueble, debiéndose consultar al corredor público inmobiliario responsable de la operación por la eventual actualización de las medidas, descripciones arquitectónicas y funcionales, valores de expensas, servicios, impuestos, precios y demás información, cuyos valores son aproximados. Rau s.R.L. No ejerce el corretaje inmobiliario. El presente sitio web es una plataforma en donde cada oficina inmobiliaria independiente que contrata los servicios re/max puede publicar las propiedades a su cargo. Cada oficina es de propiedad y gestión independiente, por lo que rau s.R.L. No interviene en los datos de la publicación, en la operación inmobiliaria, ni en la confección y/o firma del boleto de compraventa y/o escritura y/o contrato de alquiler. En cumplimiento de las leyes vigentes que regulan el corretaje inmobiliario, ley nacional 25.028, ley 22.802 de lealtad comercial, ley 24.240 de defensa al consumidor, las normas del código civil y comercial de la nación y constitucionales, los agentes/gestores no ejercen el corretaje inmobiliario. Todas las operaciones inmobiliarias son objeto de intermediación y conclusión por parte del corredor público inmobiliario colegiado a cargo de la publicación, cuyos datos se exhiben en la presente. La presente publicación describe las características esenciales del inmueble, debiéndose consultar al corredor público inmobiliario responsable de la operación por la eventual actualización de las medidas, descripciones arquitectónicas y funcionales, valores de expensas, servicios, impuestos, precios y demás información, cuyos valores son aproximados.

Contactar
1/8
Visto

0

USD 318.208

Ruta Provincial 100

Terreno en Venta en San Patricio Del Chañar, Añelo

REMAX Sinergia
  • 2.816 m² Total

NODO LAS CORTADERAS | LOTE LS23

Corredor responsable: sebastian bonifacio n° 543 - contacto: carlos di modugno nodo las cortaderas | desarrollo estratégico industrial y comercial en vaca muerta nodo las cortaderas se perfila como una inversión estratégica en la región de vaca muerta, ofreciendo 38 hectáreas de terreno con 800 metros de frente sobre la ruta provincial n°7. Diseñado para responder a las demandas crecientes de infraestructura en la zona, este desarrollo se enfoca en brindar espacios para logística, comercio y servicios en una ubicación privilegiada. * Superficie lote ls23* - lote: 2816 m2 - frente: 52.10 mts - fondo: 54 mts * ubicación estratégica * a pocos minutos de los accesos principales, como añelo, rincón de los sauces, mendoza, buenos aires y neuquén, con conectividad optimizada para el crecimiento comercial e industrial. *Infraestructura completa* - servicios de electricidad - agua - cloacas - internet de alta velocidad (fibra óptica o starlink) - seguridad 24hs *sinergia con bodega* sinergia única con la bodega malma, que combina negocios, turismo y cultura en un solo espacio. *Plan de negocios adaptables* el plan de negocios de nodo las cortaderas está diseñado para diferentes perfiles de inversores, con proyecciones claras de rentabilidad que evolucionan en cada fase del proyecto. *Formas de pago * la oportunidad de inversión en nodo las cortaderas cuenta con opciones de pago adaptadas para asegurar la mejor experiencia para nuestros inversores. Aprovecha esta oportunidad de inversión en una zona de alto crecimiento y potencial. ¡Consulta más detalles y asegura tu participación en el desarrollo de vaca muerta! Cada oficina es de propiedad y gestión independiente. En cumplimiento de la ley 20.266 nacional, ley 2538 cmycpn de la provincia de neuquén, ley 22.802 de lealtad comercial, ley 24.240 de defensa al consumidor, las normas del código civil y comercial de la nación y constitucionales, los agentes no ejercen el corretaje inmobiliario. Todas las operaciones inmobiliarias son concluidas por los martilleros y corredores colegiados, cuyos datos se exhiben debajo del nombre de la inmobiliaria. La presente publicación describe las características esenciales del inmueble, debiéndose consultar al corredor público inmobiliario responsable de la operación por la eventual actualización de las medidas, descripciones arquitectónicas y funcionales, valores de expensas, servicios, impuestos, precios y demás información, cuyos valores son aproximados. Rau s.R.L. No ejerce el corretaje inmobiliario. El presente sitio web es una plataforma en donde cada oficina inmobiliaria independiente que contrata los servicios re/max puede publicar las propiedades a su cargo. Cada oficina es de propiedad y gestión independiente, por lo que rau s.R.L. No interviene en los datos de la publicación, en la operación inmobiliaria, ni en la confección y/o firma del boleto de compraventa y/o escritura y/o contrato de alquiler. En cumplimiento de las leyes vigentes que regulan el corretaje inmobiliario, ley nacional 25.028, ley 22.802 de lealtad comercial, ley 24.240 de defensa al consumidor, las normas del código civil y comercial de la nación y constitucionales, los agentes/gestores no ejercen el corretaje inmobiliario. Todas las operaciones inmobiliarias son objeto de intermediación y conclusión por parte del corredor público inmobiliario colegiado a cargo de la publicación, cuyos datos se exhiben en la presente. La presente publicación describe las características esenciales del inmueble, debiéndose consultar al corredor público inmobiliario responsable de la operación por la eventual actualización de las medidas, descripciones arquitectónicas y funcionales, valores de expensas, servicios, impuestos, precios y demás información, cuyos valores son aproximados.

Contactar
1/8
Visto

0

USD 342.277

Ruta Provincial 100

Terreno en Venta en San Patricio Del Chañar, Añelo

REMAX Sinergia
  • 3.029 m² Total

NODO LAS CORTADERAS | LOTE LS27

Corredor responsable: sebastian bonifacio n° 543 - contacto: carlos di modugno nodo las cortaderas | desarrollo estratégico industrial y comercial en vaca muerta nodo las cortaderas se perfila como una inversión estratégica en la región de vaca muerta, ofreciendo 38 hectáreas de terreno con 800 metros de frente sobre la ruta provincial n°7. Diseñado para responder a las demandas crecientes de infraestructura en la zona, este desarrollo se enfoca en brindar espacios para logística, comercio y servicios en una ubicación privilegiada. * Superficie lote ls27* - lote: 3029 m2 - frente: 38.70 mts - fondo: 78 mts * ubicación estratégica * a pocos minutos de los accesos principales, como añelo, rincón de los sauces, mendoza, buenos aires y neuquén, con conectividad optimizada para el crecimiento comercial e industrial. *Infraestructura completa* - servicios de electricidad - agua - cloacas - internet de alta velocidad (fibra óptica o starlink) - seguridad 24hs *sinergia con bodega* sinergia única con la bodega malma, que combina negocios, turismo y cultura en un solo espacio. *Plan de negocios adaptables* el plan de negocios de nodo las cortaderas está diseñado para diferentes perfiles de inversores, con proyecciones claras de rentabilidad que evolucionan en cada fase del proyecto. *Formas de pago * la oportunidad de inversión en nodo las cortaderas cuenta con opciones de pago adaptadas para asegurar la mejor experiencia para nuestros inversores. Aprovecha esta oportunidad de inversión en una zona de alto crecimiento y potencial. ¡Consulta más detalles y asegura tu participación en el desarrollo de vaca muerta! Cada oficina es de propiedad y gestión independiente. En cumplimiento de la ley 20.266 nacional, ley 2538 cmycpn de la provincia de neuquén, ley 22.802 de lealtad comercial, ley 24.240 de defensa al consumidor, las normas del código civil y comercial de la nación y constitucionales, los agentes no ejercen el corretaje inmobiliario. Todas las operaciones inmobiliarias son concluidas por los martilleros y corredores colegiados, cuyos datos se exhiben debajo del nombre de la inmobiliaria. La presente publicación describe las características esenciales del inmueble, debiéndose consultar al corredor público inmobiliario responsable de la operación por la eventual actualización de las medidas, descripciones arquitectónicas y funcionales, valores de expensas, servicios, impuestos, precios y demás información, cuyos valores son aproximados. Rau s.R.L. No ejerce el corretaje inmobiliario. El presente sitio web es una plataforma en donde cada oficina inmobiliaria independiente que contrata los servicios re/max puede publicar las propiedades a su cargo. Cada oficina es de propiedad y gestión independiente, por lo que rau s.R.L. No interviene en los datos de la publicación, en la operación inmobiliaria, ni en la confección y/o firma del boleto de compraventa y/o escritura y/o contrato de alquiler. En cumplimiento de las leyes vigentes que regulan el corretaje inmobiliario, ley nacional 25.028, ley 22.802 de lealtad comercial, ley 24.240 de defensa al consumidor, las normas del código civil y comercial de la nación y constitucionales, los agentes/gestores no ejercen el corretaje inmobiliario. Todas las operaciones inmobiliarias son objeto de intermediación y conclusión por parte del corredor público inmobiliario colegiado a cargo de la publicación, cuyos datos se exhiben en la presente. La presente publicación describe las características esenciales del inmueble, debiéndose consultar al corredor público inmobiliario responsable de la operación por la eventual actualización de las medidas, descripciones arquitectónicas y funcionales, valores de expensas, servicios, impuestos, precios y demás información, cuyos valores son aproximados.

Contactar
1/8
Visto

0

USD 342.277

Ruta Provincial 100

Terreno en Venta en San Patricio Del Chañar, Añelo

REMAX Sinergia
  • 3.029 m² Total

NODO LAS CORTADERAS | LOTE LS34

Corredor responsable: sebastian bonifacio n° 543 - contacto: carlos di modugno nodo las cortaderas | desarrollo estratégico industrial y comercial en vaca muerta nodo las cortaderas se perfila como una inversión estratégica en la región de vaca muerta, ofreciendo 38 hectáreas de terreno con 800 metros de frente sobre la ruta provincial n°7. Diseñado para responder a las demandas crecientes de infraestructura en la zona, este desarrollo se enfoca en brindar espacios para logística, comercio y servicios en una ubicación privilegiada. * Superficie lote ls34* - lote: 3029 m2 - frente: 38.70 mts - fondo: 78 mts * ubicación estratégica * a pocos minutos de los accesos principales, como añelo, rincón de los sauces, mendoza, buenos aires y neuquén, con conectividad optimizada para el crecimiento comercial e industrial. *Infraestructura completa* - servicios de electricidad - agua - cloacas - internet de alta velocidad (fibra óptica o starlink) - seguridad 24hs *sinergia con bodega* sinergia única con la bodega malma, que combina negocios, turismo y cultura en un solo espacio. *Plan de negocios adaptables* el plan de negocios de nodo las cortaderas está diseñado para diferentes perfiles de inversores, con proyecciones claras de rentabilidad que evolucionan en cada fase del proyecto. *Formas de pago * la oportunidad de inversión en nodo las cortaderas cuenta con opciones de pago adaptadas para asegurar la mejor experiencia para nuestros inversores. Aprovecha esta oportunidad de inversión en una zona de alto crecimiento y potencial. ¡Consulta más detalles y asegura tu participación en el desarrollo de vaca muerta! Cada oficina es de propiedad y gestión independiente. En cumplimiento de la ley 20.266 nacional, ley 2538 cmycpn de la provincia de neuquén, ley 22.802 de lealtad comercial, ley 24.240 de defensa al consumidor, las normas del código civil y comercial de la nación y constitucionales, los agentes no ejercen el corretaje inmobiliario. Todas las operaciones inmobiliarias son concluidas por los martilleros y corredores colegiados, cuyos datos se exhiben debajo del nombre de la inmobiliaria. La presente publicación describe las características esenciales del inmueble, debiéndose consultar al corredor público inmobiliario responsable de la operación por la eventual actualización de las medidas, descripciones arquitectónicas y funcionales, valores de expensas, servicios, impuestos, precios y demás información, cuyos valores son aproximados. Rau s.R.L. No ejerce el corretaje inmobiliario. El presente sitio web es una plataforma en donde cada oficina inmobiliaria independiente que contrata los servicios re/max puede publicar las propiedades a su cargo. Cada oficina es de propiedad y gestión independiente, por lo que rau s.R.L. No interviene en los datos de la publicación, en la operación inmobiliaria, ni en la confección y/o firma del boleto de compraventa y/o escritura y/o contrato de alquiler. En cumplimiento de las leyes vigentes que regulan el corretaje inmobiliario, ley nacional 25.028, ley 22.802 de lealtad comercial, ley 24.240 de defensa al consumidor, las normas del código civil y comercial de la nación y constitucionales, los agentes/gestores no ejercen el corretaje inmobiliario. Todas las operaciones inmobiliarias son objeto de intermediación y conclusión por parte del corredor público inmobiliario colegiado a cargo de la publicación, cuyos datos se exhiben en la presente. La presente publicación describe las características esenciales del inmueble, debiéndose consultar al corredor público inmobiliario responsable de la operación por la eventual actualización de las medidas, descripciones arquitectónicas y funcionales, valores de expensas, servicios, impuestos, precios y demás información, cuyos valores son aproximados.

Contactar
1/8
Visto

0

USD 342.277

Ruta Provincial 100

Terreno en Venta en San Patricio Del Chañar, Añelo

REMAX Sinergia
  • 3.029 m² Total

NODO LAS CORTADERAS | LOTE LS32

Corredor responsable: sebastian bonifacio n° 543 - contacto: carlos di modugno nodo las cortaderas | desarrollo estratégico industrial y comercial en vaca muerta nodo las cortaderas se perfila como una inversión estratégica en la región de vaca muerta, ofreciendo 38 hectáreas de terreno con 800 metros de frente sobre la ruta provincial n°7. Diseñado para responder a las demandas crecientes de infraestructura en la zona, este desarrollo se enfoca en brindar espacios para logística, comercio y servicios en una ubicación privilegiada. * Superficie lote ls32* - lote: 3029 m2 - frente: 38.70 mts - fondo: 78 mts * ubicación estratégica * a pocos minutos de los accesos principales, como añelo, rincón de los sauces, mendoza, buenos aires y neuquén, con conectividad optimizada para el crecimiento comercial e industrial. *Infraestructura completa* - servicios de electricidad - agua - cloacas - internet de alta velocidad (fibra óptica o starlink) - seguridad 24hs *sinergia con bodega* sinergia única con la bodega malma, que combina negocios, turismo y cultura en un solo espacio. *Plan de negocios adaptables* el plan de negocios de nodo las cortaderas está diseñado para diferentes perfiles de inversores, con proyecciones claras de rentabilidad que evolucionan en cada fase del proyecto. *Formas de pago * la oportunidad de inversión en nodo las cortaderas cuenta con opciones de pago adaptadas para asegurar la mejor experiencia para nuestros inversores. Aprovecha esta oportunidad de inversión en una zona de alto crecimiento y potencial. ¡Consulta más detalles y asegura tu participación en el desarrollo de vaca muerta! Cada oficina es de propiedad y gestión independiente. En cumplimiento de la ley 20.266 nacional, ley 2538 cmycpn de la provincia de neuquén, ley 22.802 de lealtad comercial, ley 24.240 de defensa al consumidor, las normas del código civil y comercial de la nación y constitucionales, los agentes no ejercen el corretaje inmobiliario. Todas las operaciones inmobiliarias son concluidas por los martilleros y corredores colegiados, cuyos datos se exhiben debajo del nombre de la inmobiliaria. La presente publicación describe las características esenciales del inmueble, debiéndose consultar al corredor público inmobiliario responsable de la operación por la eventual actualización de las medidas, descripciones arquitectónicas y funcionales, valores de expensas, servicios, impuestos, precios y demás información, cuyos valores son aproximados. Rau s.R.L. No ejerce el corretaje inmobiliario. El presente sitio web es una plataforma en donde cada oficina inmobiliaria independiente que contrata los servicios re/max puede publicar las propiedades a su cargo. Cada oficina es de propiedad y gestión independiente, por lo que rau s.R.L. No interviene en los datos de la publicación, en la operación inmobiliaria, ni en la confección y/o firma del boleto de compraventa y/o escritura y/o contrato de alquiler. En cumplimiento de las leyes vigentes que regulan el corretaje inmobiliario, ley nacional 25.028, ley 22.802 de lealtad comercial, ley 24.240 de defensa al consumidor, las normas del código civil y comercial de la nación y constitucionales, los agentes/gestores no ejercen el corretaje inmobiliario. Todas las operaciones inmobiliarias son objeto de intermediación y conclusión por parte del corredor público inmobiliario colegiado a cargo de la publicación, cuyos datos se exhiben en la presente. La presente publicación describe las características esenciales del inmueble, debiéndose consultar al corredor público inmobiliario responsable de la operación por la eventual actualización de las medidas, descripciones arquitectónicas y funcionales, valores de expensas, servicios, impuestos, precios y demás información, cuyos valores son aproximados.

Contactar
1/8
Visto

0

USD 342.277

Ruta Provincial 100

Terreno en Venta en San Patricio Del Chañar, Añelo

REMAX Sinergia
  • 3.029 m² Total

NODO LAS CORTADERAS | LOTE LS36

Corredor responsable: sebastian bonifacio n° 543 - contacto: carlos di modugno nodo las cortaderas | desarrollo estratégico industrial y comercial en vaca muerta nodo las cortaderas se perfila como una inversión estratégica en la región de vaca muerta, ofreciendo 38 hectáreas de terreno con 800 metros de frente sobre la ruta provincial n°7. Diseñado para responder a las demandas crecientes de infraestructura en la zona, este desarrollo se enfoca en brindar espacios para logística, comercio y servicios en una ubicación privilegiada. * Superficie lote ls36* - lote: 3029 m2 - frente: 38.70 mts - fondo: 78 mts * ubicación estratégica * a pocos minutos de los accesos principales, como añelo, rincón de los sauces, mendoza, buenos aires y neuquén, con conectividad optimizada para el crecimiento comercial e industrial. *Infraestructura completa* - servicios de electricidad - agua - cloacas - internet de alta velocidad (fibra óptica o starlink) - seguridad 24hs *sinergia con bodega* sinergia única con la bodega malma, que combina negocios, turismo y cultura en un solo espacio. *Plan de negocios adaptables* el plan de negocios de nodo las cortaderas está diseñado para diferentes perfiles de inversores, con proyecciones claras de rentabilidad que evolucionan en cada fase del proyecto. *Formas de pago * la oportunidad de inversión en nodo las cortaderas cuenta con opciones de pago adaptadas para asegurar la mejor experiencia para nuestros inversores. Aprovecha esta oportunidad de inversión en una zona de alto crecimiento y potencial. ¡Consulta más detalles y asegura tu participación en el desarrollo de vaca muerta! Cada oficina es de propiedad y gestión independiente. En cumplimiento de la ley 20.266 nacional, ley 2538 cmycpn de la provincia de neuquén, ley 22.802 de lealtad comercial, ley 24.240 de defensa al consumidor, las normas del código civil y comercial de la nación y constitucionales, los agentes no ejercen el corretaje inmobiliario. Todas las operaciones inmobiliarias son concluidas por los martilleros y corredores colegiados, cuyos datos se exhiben debajo del nombre de la inmobiliaria. La presente publicación describe las características esenciales del inmueble, debiéndose consultar al corredor público inmobiliario responsable de la operación por la eventual actualización de las medidas, descripciones arquitectónicas y funcionales, valores de expensas, servicios, impuestos, precios y demás información, cuyos valores son aproximados. Rau s.R.L. No ejerce el corretaje inmobiliario. El presente sitio web es una plataforma en donde cada oficina inmobiliaria independiente que contrata los servicios re/max puede publicar las propiedades a su cargo. Cada oficina es de propiedad y gestión independiente, por lo que rau s.R.L. No interviene en los datos de la publicación, en la operación inmobiliaria, ni en la confección y/o firma del boleto de compraventa y/o escritura y/o contrato de alquiler. En cumplimiento de las leyes vigentes que regulan el corretaje inmobiliario, ley nacional 25.028, ley 22.802 de lealtad comercial, ley 24.240 de defensa al consumidor, las normas del código civil y comercial de la nación y constitucionales, los agentes/gestores no ejercen el corretaje inmobiliario. Todas las operaciones inmobiliarias son objeto de intermediación y conclusión por parte del corredor público inmobiliario colegiado a cargo de la publicación, cuyos datos se exhiben en la presente. La presente publicación describe las características esenciales del inmueble, debiéndose consultar al corredor público inmobiliario responsable de la operación por la eventual actualización de las medidas, descripciones arquitectónicas y funcionales, valores de expensas, servicios, impuestos, precios y demás información, cuyos valores son aproximados.

Contactar
1/8
Visto

0

USD 342.277

Ruta Provincial 100

Terreno en Venta en San Patricio Del Chañar, Añelo

REMAX Sinergia
  • 3.029 m² Total

NODO LAS CORTADERAS | LOTE LS37

Corredor responsable: sebastian bonifacio n° 543 - contacto: carlos di modugno nodo las cortaderas | desarrollo estratégico industrial y comercial en vaca muerta nodo las cortaderas se perfila como una inversión estratégica en la región de vaca muerta, ofreciendo 38 hectáreas de terreno con 800 metros de frente sobre la ruta provincial n°7. Diseñado para responder a las demandas crecientes de infraestructura en la zona, este desarrollo se enfoca en brindar espacios para logística, comercio y servicios en una ubicación privilegiada. * Superficie lote ls37* - lote: 3029 m2 - frente: 38.70 mts - fondo: 78 mts * ubicación estratégica * a pocos minutos de los accesos principales, como añelo, rincón de los sauces, mendoza, buenos aires y neuquén, con conectividad optimizada para el crecimiento comercial e industrial. *Infraestructura completa* - servicios de electricidad - agua - cloacas - internet de alta velocidad (fibra óptica o starlink) - seguridad 24hs *sinergia con bodega* sinergia única con la bodega malma, que combina negocios, turismo y cultura en un solo espacio. *Plan de negocios adaptables* el plan de negocios de nodo las cortaderas está diseñado para diferentes perfiles de inversores, con proyecciones claras de rentabilidad que evolucionan en cada fase del proyecto. *Formas de pago * la oportunidad de inversión en nodo las cortaderas cuenta con opciones de pago adaptadas para asegurar la mejor experiencia para nuestros inversores. Aprovecha esta oportunidad de inversión en una zona de alto crecimiento y potencial. ¡Consulta más detalles y asegura tu participación en el desarrollo de vaca muerta! Cada oficina es de propiedad y gestión independiente. En cumplimiento de la ley 20.266 nacional, ley 2538 cmycpn de la provincia de neuquén, ley 22.802 de lealtad comercial, ley 24.240 de defensa al consumidor, las normas del código civil y comercial de la nación y constitucionales, los agentes no ejercen el corretaje inmobiliario. Todas las operaciones inmobiliarias son concluidas por los martilleros y corredores colegiados, cuyos datos se exhiben debajo del nombre de la inmobiliaria. La presente publicación describe las características esenciales del inmueble, debiéndose consultar al corredor público inmobiliario responsable de la operación por la eventual actualización de las medidas, descripciones arquitectónicas y funcionales, valores de expensas, servicios, impuestos, precios y demás información, cuyos valores son aproximados. Rau s.R.L. No ejerce el corretaje inmobiliario. El presente sitio web es una plataforma en donde cada oficina inmobiliaria independiente que contrata los servicios re/max puede publicar las propiedades a su cargo. Cada oficina es de propiedad y gestión independiente, por lo que rau s.R.L. No interviene en los datos de la publicación, en la operación inmobiliaria, ni en la confección y/o firma del boleto de compraventa y/o escritura y/o contrato de alquiler. En cumplimiento de las leyes vigentes que regulan el corretaje inmobiliario, ley nacional 25.028, ley 22.802 de lealtad comercial, ley 24.240 de defensa al consumidor, las normas del código civil y comercial de la nación y constitucionales, los agentes/gestores no ejercen el corretaje inmobiliario. Todas las operaciones inmobiliarias son objeto de intermediación y conclusión por parte del corredor público inmobiliario colegiado a cargo de la publicación, cuyos datos se exhiben en la presente. La presente publicación describe las características esenciales del inmueble, debiéndose consultar al corredor público inmobiliario responsable de la operación por la eventual actualización de las medidas, descripciones arquitectónicas y funcionales, valores de expensas, servicios, impuestos, precios y demás información, cuyos valores son aproximados.

Contactar
1/8
Visto

0

USD 269.166

Ruta Provincial 100

Terreno en Venta en San Patricio Del Chañar, Añelo

REMAX Sinergia
  • 3.029 m² Total

NODO LAS CORTADERAS | LOTE LS41

Corredor responsable: sebastian bonifacio n° 543 - contacto: carlos di modugno nodo las cortaderas | desarrollo estratégico industrial y comercial en vaca muerta nodo las cortaderas se perfila como una inversión estratégica en la región de vaca muerta, ofreciendo 38 hectáreas de terreno con 800 metros de frente sobre la ruta provincial n°7. Diseñado para responder a las demandas crecientes de infraestructura en la zona, este desarrollo se enfoca en brindar espacios para logística, comercio y servicios en una ubicación privilegiada. * Superficie lote ls41* - lote: 2382 m2 - frente: 44.10 mts - fondo: 54 mts * ubicación estratégica * a pocos minutos de los accesos principales, como añelo, rincón de los sauces, mendoza, buenos aires y neuquén, con conectividad optimizada para el crecimiento comercial e industrial. *Infraestructura completa* - servicios de electricidad - agua - cloacas - internet de alta velocidad (fibra óptica o starlink) - seguridad 24hs *sinergia con bodega* sinergia única con la bodega malma, que combina negocios, turismo y cultura en un solo espacio. *Plan de negocios adaptables* el plan de negocios de nodo las cortaderas está diseñado para diferentes perfiles de inversores, con proyecciones claras de rentabilidad que evolucionan en cada fase del proyecto. *Formas de pago * la oportunidad de inversión en nodo las cortaderas cuenta con opciones de pago adaptadas para asegurar la mejor experiencia para nuestros inversores. Aprovecha esta oportunidad de inversión en una zona de alto crecimiento y potencial. ¡Consulta más detalles y asegura tu participación en el desarrollo de vaca muerta! Cada oficina es de propiedad y gestión independiente. En cumplimiento de la ley 20.266 nacional, ley 2538 cmycpn de la provincia de neuquén, ley 22.802 de lealtad comercial, ley 24.240 de defensa al consumidor, las normas del código civil y comercial de la nación y constitucionales, los agentes no ejercen el corretaje inmobiliario. Todas las operaciones inmobiliarias son concluidas por los martilleros y corredores colegiados, cuyos datos se exhiben debajo del nombre de la inmobiliaria. La presente publicación describe las características esenciales del inmueble, debiéndose consultar al corredor público inmobiliario responsable de la operación por la eventual actualización de las medidas, descripciones arquitectónicas y funcionales, valores de expensas, servicios, impuestos, precios y demás información, cuyos valores son aproximados. Rau s.R.L. No ejerce el corretaje inmobiliario. El presente sitio web es una plataforma en donde cada oficina inmobiliaria independiente que contrata los servicios re/max puede publicar las propiedades a su cargo. Cada oficina es de propiedad y gestión independiente, por lo que rau s.R.L. No interviene en los datos de la publicación, en la operación inmobiliaria, ni en la confección y/o firma del boleto de compraventa y/o escritura y/o contrato de alquiler. En cumplimiento de las leyes vigentes que regulan el corretaje inmobiliario, ley nacional 25.028, ley 22.802 de lealtad comercial, ley 24.240 de defensa al consumidor, las normas del código civil y comercial de la nación y constitucionales, los agentes/gestores no ejercen el corretaje inmobiliario. Todas las operaciones inmobiliarias son objeto de intermediación y conclusión por parte del corredor público inmobiliario colegiado a cargo de la publicación, cuyos datos se exhiben en la presente. La presente publicación describe las características esenciales del inmueble, debiéndose consultar al corredor público inmobiliario responsable de la operación por la eventual actualización de las medidas, descripciones arquitectónicas y funcionales, valores de expensas, servicios, impuestos, precios y demás información, cuyos valores son aproximados.

Contactar
1/8
Visto

0

USD 508.500

Ruta Provincial 100

Terreno en Venta en San Patricio Del Chañar, Añelo

REMAX Sinergia
  • 4.500 m² Total

NODO LAS CORTADERAS | LOTE LS50

Corredor responsable: sebastian bonifacio n° 543 - contacto: carlos di modugno nodo las cortaderas | desarrollo estratégico industrial y comercial en vaca muerta nodo las cortaderas se perfila como una inversión estratégica en la región de vaca muerta, ofreciendo 38 hectáreas de terreno con 800 metros de frente sobre la ruta provincial n°7. Diseñado para responder a las demandas crecientes de infraestructura en la zona, este desarrollo se enfoca en brindar espacios para logística, comercio y servicios en una ubicación privilegiada. * Superficie lote ls50* - lote: 4500 m2 - frente: 50 mts - fondo: 90 mts * ubicación estratégica * a pocos minutos de los accesos principales, como añelo, rincón de los sauces, mendoza, buenos aires y neuquén, con conectividad optimizada para el crecimiento comercial e industrial. *Infraestructura completa* - servicios de electricidad - agua - cloacas - internet de alta velocidad (fibra óptica o starlink) - seguridad 24hs *sinergia con bodega* sinergia única con la bodega malma, que combina negocios, turismo y cultura en un solo espacio. *Plan de negocios adaptables* el plan de negocios de nodo las cortaderas está diseñado para diferentes perfiles de inversores, con proyecciones claras de rentabilidad que evolucionan en cada fase del proyecto. *Formas de pago * la oportunidad de inversión en nodo las cortaderas cuenta con opciones de pago adaptadas para asegurar la mejor experiencia para nuestros inversores. Aprovecha esta oportunidad de inversión en una zona de alto crecimiento y potencial. ¡Consulta más detalles y asegura tu participación en el desarrollo de vaca muerta! Cada oficina es de propiedad y gestión independiente. En cumplimiento de la ley 20.266 nacional, ley 2538 cmycpn de la provincia de neuquén, ley 22.802 de lealtad comercial, ley 24.240 de defensa al consumidor, las normas del código civil y comercial de la nación y constitucionales, los agentes no ejercen el corretaje inmobiliario. Todas las operaciones inmobiliarias son concluidas por los martilleros y corredores colegiados, cuyos datos se exhiben debajo del nombre de la inmobiliaria. La presente publicación describe las características esenciales del inmueble, debiéndose consultar al corredor público inmobiliario responsable de la operación por la eventual actualización de las medidas, descripciones arquitectónicas y funcionales, valores de expensas, servicios, impuestos, precios y demás información, cuyos valores son aproximados. Rau s.R.L. No ejerce el corretaje inmobiliario. El presente sitio web es una plataforma en donde cada oficina inmobiliaria independiente que contrata los servicios re/max puede publicar las propiedades a su cargo. Cada oficina es de propiedad y gestión independiente, por lo que rau s.R.L. No interviene en los datos de la publicación, en la operación inmobiliaria, ni en la confección y/o firma del boleto de compraventa y/o escritura y/o contrato de alquiler. En cumplimiento de las leyes vigentes que regulan el corretaje inmobiliario, ley nacional 25.028, ley 22.802 de lealtad comercial, ley 24.240 de defensa al consumidor, las normas del código civil y comercial de la nación y constitucionales, los agentes/gestores no ejercen el corretaje inmobiliario. Todas las operaciones inmobiliarias son objeto de intermediación y conclusión por parte del corredor público inmobiliario colegiado a cargo de la publicación, cuyos datos se exhiben en la presente. La presente publicación describe las características esenciales del inmueble, debiéndose consultar al corredor público inmobiliario responsable de la operación por la eventual actualización de las medidas, descripciones arquitectónicas y funcionales, valores de expensas, servicios, impuestos, precios y demás información, cuyos valores son aproximados.

Contactar