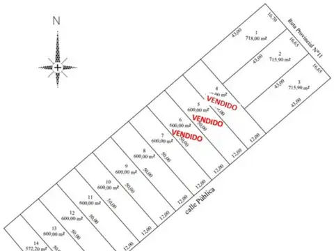
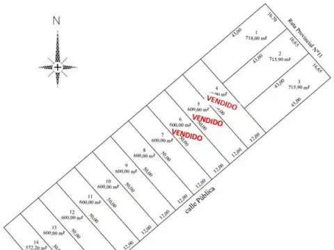
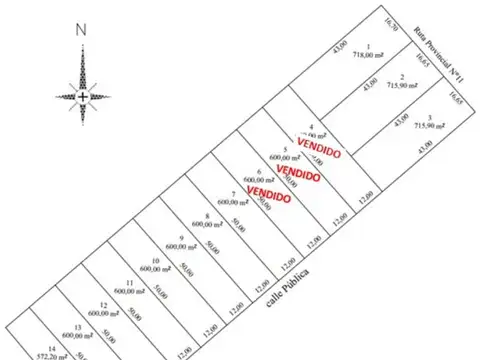
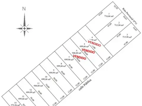
115 Terrenos en Victoria
Tipo de operación
Servicios Generales
Ocultaste esta propiedad:
Volver a mostrar
Si luego te arrepentís la podés recuperar desde Mi cuenta/Ocultados
Podés escribir y guardar un comentario de porqué ocultaste esta propiedad (visible sólo para vos)