Doctor Mariano Castex al 100

USD 260.000

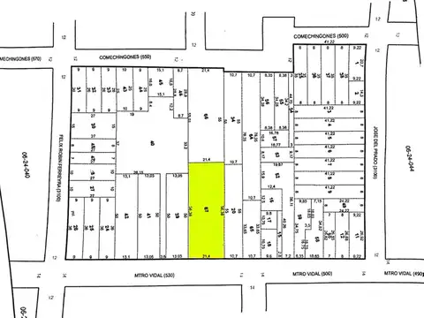
Venta en Alto Alberdi, Cordoba

USD 260.000

  • Terreno

  • 325 m² Total

  • 13 mts Frente

  • 25 mts Fondo

Venta Terreno - Alto Alberdi, Cordoba

Soys Inmobiliaria te presenta a la Venta Terreno de 13m de frente por 25m de fondo, Barrio Alto Alberdi, sobre calle Dr. Mariano Castex al 131, entre Av. Colon y 9 de Julio, Ciudad de Córdoba.
Excelente zona para desarrollos en altura y cocheras.
Zona C5
Posibilidad también de sumar la propiedad de al lado es una casa de 2 plantas y dicho terreno es de 6m de frente por 25m de fondo.
Se recibe canje al 100%
Cualquier consulta estamos a disposición en nuestros teléfonos de contacto!

Ubicación

Alto Alberdi, Cordoba, Capital, Cordoba

Características

  • Long. Frente: 13 m

  • Long. Fondo: 25 m

  • Precio: USD 260.000

  • Sup. Total: 325 m2

Código de aviso: PRO-252166

Contactá al anunciante

Soys Inmobiliaria

+5493