(1) (1)
  • Centro

Venta

Terreno

Precio

Buscar solo avisos en moneda:

Dorm|Amb

Más filtros Más filtros

Características

Superficie total

Nombre de calle y altura

Tipo de urbanización

Fot

Servicios

Tipo de anunciante

206 Terrenos en Venta en Centro

1/2
Visto

2.593

USD 410.000

Dorrego 919

Terreno en Venta en Centro, Rosario

Lima Propiedades
  • 349 m² Total
  • 8 mts Frente
  • 34 mts Fondo

Terreno en Centro

Terreno en venta - oportunidad para desarrolladores en área central de rosario imaginate proyectar un edificio en pleno corazón de rosario, en una cuadra estratégica donde todo sucede: a metros de av. Rioja, italia y córdoba. Una ubicación que combina flujo peatonal, conectividad, vida urbana y demanda sostenida de vivienda y locales comerciales. Este lote no es solo tierra: es potencial constructivo inmediato en una de las zonas más buscadas para desarrollos inmobiliarios. La proporción del terreno, su frente definido sobre dorrego y su expansión hacia el fondo, permiten pensar un proyecto eficiente, adaptable al tejido urbano y alineado con las ordenanzas vigentes para lograr un edificio moderno, rentable y de rápida comercialización. Ubicación privilegiada área central rosario a pasos de ejes comerciales, transporte, universidades, oficinas, centros médicos y el circuito gastronómico del centro. Características del lote frente: 8,66 m sobre dorrego fondo: 40,30 m superficie total: 349 m2 inmueble libre de afectación municipal para utilidad pública condiciones urbanísticas y potencial constructivo ordenanzas vigentes: 8243/08 10104/20 8757/11 altura máxima permitida: 25 m (planta baja + 8 pisos) usos permitidos: residencial, comercial y mixto ideal para desarrollo de departamentos de vivienda con locales en planta baja adaptable a normativas de salientes y balcones plus diferencial posibilidad de adquirir departamentos terminados como parte de la negociación. Zona con altísima demanda de unidades chicas y medianas para vivienda y renta. Excelente entorno para proyecto de inversión con rápida absorción de mercado. Desarrollá donde el mercado ya está consolidado lotes con este perfil urbanístico y esta ubicación son cada vez más escasos en el área central. Contactanos y analizá el potencial real de este terreno para tu próximo edificio. Nota importante: toda información y medidas provistas son aproximadas y deberán ratificarse con la documentación pertinente y no compromete contractualmente al anunciante. Los gastos expresados refieren a la última información recabada y deberán confirmarse. Fotografías no vinculantes ni contractuales.

Contactar
1/2
Visto

440

USD 250.000

Presidente Roca 1215

Terreno en Venta en Centro, Rosario

MALCOLM PROPIEDADES
  • 157 m² Total

RETASADO TERRENO 157M2 - NO AFECTADA A PATRIMONIO

Terreno ideal constructoras - no afectada a patrimonio la altura máxima permitida es de 25m. Ubicado en pleno centro de la ciudad, a pocos metros de calle mendoza, zona de gran movimiento comercial y habitacional, excelente conectividad con toda la ciudad a través de varias líneas de transporte. Zona de gran crecimiento con varios desarrollos inmobiliarios nuevos y en construcción- 9,50m de frente con orientación oeste y 16,51m de fondo, cuenta con una superficie de total de 157m2. - Servicios: cloacas, gas malcolm propiedades y asoc. Teléfonos: 448-5293 / / .- Redes: instagram: @malcolmpropiedades facebook: malcolm propiedades toda la información y medidas provistas por los propietarios, son aproximadas y deberán ratificarse con la visita al inmueble y la documentación pertinente. Los gastos expresados refieren a la última información recabada y deberán confirmarse. Todas las fotografías son propiedad intelectual de malcolm propiedades y no es permitida su utilización comercial. Información y fotografías no son vinculantes ni contractuales y no comprometen a la empresa ni al profesional interviniente. . La publicación de este inmueble es a solo título informativo, pues la venta de la propiedad está supeditada a que el propietario cumplimente el trámite ante el arca para la obtención del número de coti correspondiente.

Contactar
1/6
Visto

111

USD 1.400.000

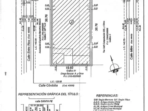
Santa Fe 1200

Terreno en Venta en Centro, Rosario

Lima Propiedades
  • 759 m² Total
  • 19 mts Frente
  • 39 mts Fondo

Playa de estacionamiento, dos locales y oficina en pleno centro de Rosario

La propiedad se encuentra ubicada en pleno centro de la ciudad de rosario, en la calle santa fe entre mitre y entre ríos. Al frente sobre la calle santa fe hay 2 locales y una oficina, todos con sus ingresos independientes. El primer local de 7,50 metros de profundidad por 3,65 metros de ancho. Un entrepiso de 4,50 metros por 3.65 metros. Un baño y una escalera caracol metálica. El segundo local de 5,85 metros de profundidad por 4,40 metros de ancho. El entrepiso de 3,50 metros por 4,40 metros. Un baño y una escalera caracol metálica. La oficina en planta baja se ubica el ingreso con una escalera. En el primer piso de 10,45 metros por 6,55. 68,45 m2 el espacio se divide en 3 oficinas independientes y un baño. La playa de estacionamiento de 28,31 metros de profundidad por 19,60 metros de ancho, tiene su ingreso vehicular con un ancho de 5 metros. Con una capacidad para 26 autos (con rotación 40 autos) y un espacio para motos. Una cabina y un baño 2 locales + 1 oficina. Todos con entrada independiente superficie terreno 759 m2 superficie cubierta 872 m2 medidas 19.60 x 38.76 permiso de edificacion: pb mas 8 pisos. Nota importante: toda información y medidas provistas son aproximadas y deberán ratificarse con la documentación pertinente y no compromete contractualmente al anunciante. Los gastos expresados refieren a la última información recabada y deberán confirmarse. Fotografías no vinculantes ni contractuales.

Contactar